120 Parkdale Ave. (D07-16-24-0022)

120 Parkdale Ave. (D07-16-24-0022) #

Summary #

Application StatusActive
Review StatusComment Period in Progress
DescriptionThe intent of this application is to facilitate the transfer of roads and servicing infrastructure to the municipality. No new development (ie. buildings or housing units) is being proposed through this DPS application.
WardWard 15 - Jeff Leiper
Date Initiated2024-09-25
Last Updated2025-09-05

Renders #

  • Rendering of building from page 13 of the file '2025-09-26 - Urban Design Review Panel - D07-16-24-0022'
  • Rendering of building from page 19 of the file '2024-12-09 - Urban Design Brief - D07-16-24-0022'
  • Rendering of building from page 25 of the file '2024-12-09 - Urban Design Brief - D07-16-24-0022'
  • Rendering of building from page 4 of the file '2025-09-26 - Urban Design Review Panel - D07-16-24-0022'
  • Rendering of building from page 14 of the file '2025-09-26 - Urban Design Review Panel - D07-16-24-0022'
  • Rendering of building from page 28 of the file '2025-09-26 - Urban Design Review Panel - D07-16-24-0022'
  • Rendering of building from page 27 of the file '2025-09-26 - Urban Design Review Panel - D07-16-24-0022'
  • Rendering of building from page 28 of the file '2025-09-26 - Urban Design Review Panel - D07-16-24-0022'
  • Rendering of building from page 22 of the file '2025-09-26 - Urban Design Review Panel - D07-16-24-0022'
  • Rendering of building from page 7 of the file '2024-12-09 - Urban Design Brief - D07-16-24-0022'
  • Rendering of building from page 25 of the file '2024-12-09 - Urban Design Brief - D07-16-24-0022'
  • Rendering of building from page 28 of the file '2025-09-26 - Urban Design Review Panel - D07-16-24-0022'
  • Rendering of building from page 14 of the file '2025-09-26 - Urban Design Review Panel - D07-16-24-0022'
  • Rendering of building from page 22 of the file '2025-09-26 - Urban Design Review Panel - D07-16-24-0022'
  • Rendering of building from page 12 of the file '2025-09-26 - Urban Design Review Panel - D07-16-24-0022'
  • Rendering of building from page 4 of the file '2024-12-09 - Urban Design Brief - D07-16-24-0022'
  • Rendering of building from page 16 of the file '2024-12-09 - Urban Design Brief - D07-16-24-0022'
  • Rendering of building from page 10 of the file '2024-12-09 - Urban Design Brief - D07-16-24-0022'
  • Rendering of building from page 25 of the file '2024-12-09 - Urban Design Brief - D07-16-24-0022'
  • Rendering of building from page 14 of the file '2025-09-26 - Urban Design Review Panel - D07-16-24-0022'
  • Rendering of building from page 9 of the file '2024-12-09 - Urban Design Brief - D07-16-24-0022'
  • Rendering of building from page 28 of the file '2025-09-26 - Urban Design Review Panel - D07-16-24-0022'
  • Rendering of building from page 1 of the file '2025-09-26 - Urban Design Review Panel - D07-16-24-0022'
  • Rendering of building from page 29 of the file '2025-09-26 - Urban Design Review Panel - D07-16-24-0022'
  • Rendering of building from page 5 of the file '2024-12-09 - Urban Design Brief - D07-16-24-0022'
  • Rendering of building from page 9 of the file '2024-12-09 - Urban Design Brief - D07-16-24-0022'
  • Rendering of building from page 46 of the file '2024-12-09 - Urban Design Brief - D07-16-24-0022'
  • Rendering of building from page 47 of the file '2024-12-09 - Urban Design Brief - D07-16-24-0022'
  • Rendering of building from page 56 of the file '2024-12-09 - Urban Design Brief - D07-16-24-0022'
  • Rendering of building from page 56 of the file '2024-12-09 - Urban Design Brief - D07-16-24-0022'
  • Rendering of building from page 37 of the file '2025-09-26 - Urban Design Review Panel - D07-16-24-0022'
  • Rendering of building from page 13 of the file '2025-09-26 - Urban Design Review Panel - D07-16-24-0022'
  • Rendering of building from page 19 of the file '2024-12-09 - Urban Design Brief - D07-16-24-0022'
  • Rendering of building from page 25 of the file '2024-12-09 - Urban Design Brief - D07-16-24-0022'
  • Rendering of building from page 4 of the file '2025-09-26 - Urban Design Review Panel - D07-16-24-0022'
  • Rendering of building from page 14 of the file '2025-09-26 - Urban Design Review Panel - D07-16-24-0022'
  • Rendering of building from page 28 of the file '2025-09-26 - Urban Design Review Panel - D07-16-24-0022'
  • Rendering of building from page 27 of the file '2025-09-26 - Urban Design Review Panel - D07-16-24-0022'
  • Rendering of building from page 28 of the file '2025-09-26 - Urban Design Review Panel - D07-16-24-0022'
  • Rendering of building from page 22 of the file '2025-09-26 - Urban Design Review Panel - D07-16-24-0022'
  • Rendering of building from page 7 of the file '2024-12-09 - Urban Design Brief - D07-16-24-0022'
  • Rendering of building from page 25 of the file '2024-12-09 - Urban Design Brief - D07-16-24-0022'
  • Rendering of building from page 28 of the file '2025-09-26 - Urban Design Review Panel - D07-16-24-0022'
  • Rendering of building from page 14 of the file '2025-09-26 - Urban Design Review Panel - D07-16-24-0022'
  • Rendering of building from page 22 of the file '2025-09-26 - Urban Design Review Panel - D07-16-24-0022'
  • Rendering of building from page 12 of the file '2025-09-26 - Urban Design Review Panel - D07-16-24-0022'
  • Rendering of building from page 4 of the file '2024-12-09 - Urban Design Brief - D07-16-24-0022'
  • Rendering of building from page 16 of the file '2024-12-09 - Urban Design Brief - D07-16-24-0022'
  • Rendering of building from page 10 of the file '2024-12-09 - Urban Design Brief - D07-16-24-0022'
  • Rendering of building from page 25 of the file '2024-12-09 - Urban Design Brief - D07-16-24-0022'
  • Rendering of building from page 14 of the file '2025-09-26 - Urban Design Review Panel - D07-16-24-0022'
  • Rendering of building from page 9 of the file '2024-12-09 - Urban Design Brief - D07-16-24-0022'
  • Rendering of building from page 28 of the file '2025-09-26 - Urban Design Review Panel - D07-16-24-0022'
  • Rendering of building from page 1 of the file '2025-09-26 - Urban Design Review Panel - D07-16-24-0022'
  • Rendering of building from page 29 of the file '2025-09-26 - Urban Design Review Panel - D07-16-24-0022'
  • Rendering of building from page 5 of the file '2024-12-09 - Urban Design Brief - D07-16-24-0022'
  • Rendering of building from page 9 of the file '2024-12-09 - Urban Design Brief - D07-16-24-0022'
  • Rendering of building from page 46 of the file '2024-12-09 - Urban Design Brief - D07-16-24-0022'
  • Rendering of building from page 47 of the file '2024-12-09 - Urban Design Brief - D07-16-24-0022'
  • Rendering of building from page 56 of the file '2024-12-09 - Urban Design Brief - D07-16-24-0022'
  • Rendering of building from page 56 of the file '2024-12-09 - Urban Design Brief - D07-16-24-0022'
  • Rendering of building from page 37 of the file '2025-09-26 - Urban Design Review Panel - D07-16-24-0022'

Location #

Select a marker to view the address.

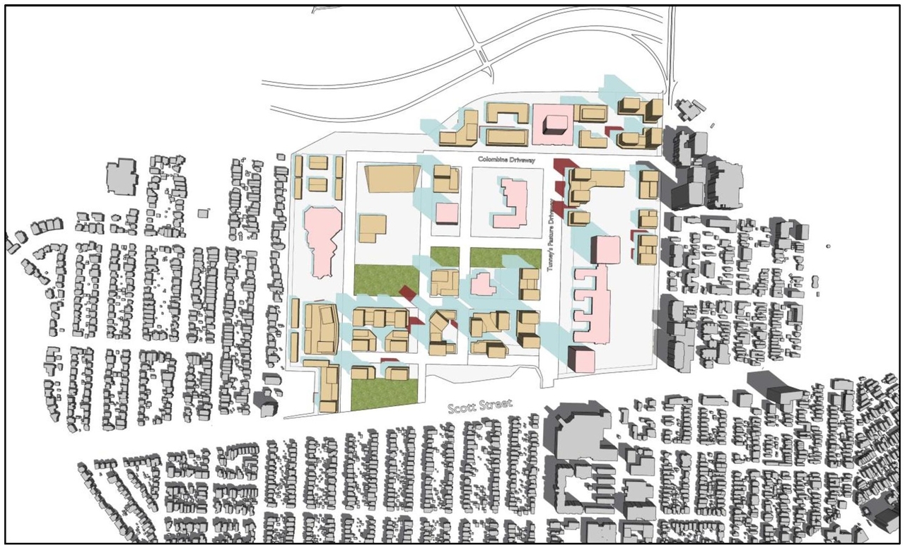
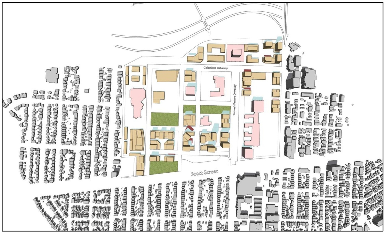
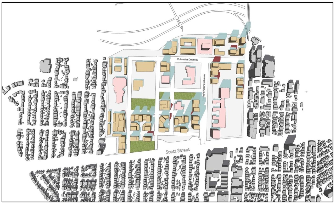
Site and Floor Plans #

  • Construction site plan for project from page 9 of the file '2024-12-09 - Urban Design Brief - D07-16-24-0022'
  • Construction site plan for project from page 9 of the file '2024-12-09 - Urban Design Brief - D07-16-24-0022'
  • Construction site plan for project from page 18 of the file '2024-12-09 - Urban Design Brief - D07-16-24-0022'
  • Construction site plan for project from page 19 of the file '2024-12-09 - Urban Design Brief - D07-16-24-0022'
  • Construction site plan for project from page 19 of the file '2024-12-09 - Urban Design Brief - D07-16-24-0022'
  • Construction site plan for project from page 20 of the file '2024-12-09 - Urban Design Brief - D07-16-24-0022'
  • Construction site plan for project from page 20 of the file '2024-12-09 - Urban Design Brief - D07-16-24-0022'
  • Construction site plan for project from page 20 of the file '2024-12-09 - Urban Design Brief - D07-16-24-0022'
  • Construction site plan for project from page 21 of the file '2024-12-09 - Urban Design Brief - D07-16-24-0022'
  • Construction site plan for project from page 21 of the file '2024-12-09 - Urban Design Brief - D07-16-24-0022'
  • Construction site plan for project from page 21 of the file '2024-12-09 - Urban Design Brief - D07-16-24-0022'
  • Floor plan for project from page 26 of the file '2024-12-09 - Urban Design Brief - D07-16-24-0022'
  • Floor plan for project from page 26 of the file '2024-12-09 - Urban Design Brief - D07-16-24-0022'
  • Floor plan for project from page 26 of the file '2024-12-09 - Urban Design Brief - D07-16-24-0022'
  • Construction site plan for project from page 27 of the file '2024-12-09 - Urban Design Brief - D07-16-24-0022'
  • Construction site plan for project from page 28 of the file '2024-12-09 - Urban Design Brief - D07-16-24-0022'
  • Construction site plan for project from page 29 of the file '2024-12-09 - Urban Design Brief - D07-16-24-0022'
  • Construction site plan for project from page 30 of the file '2024-12-09 - Urban Design Brief - D07-16-24-0022'
  • Construction site plan for project from page 31 of the file '2024-12-09 - Urban Design Brief - D07-16-24-0022'
  • Construction site plan for project from page 33 of the file '2024-12-09 - Urban Design Brief - D07-16-24-0022'
  • Construction site plan for project from page 34 of the file '2024-12-09 - Urban Design Brief - D07-16-24-0022'
  • Construction site plan for project from page 35 of the file '2024-12-09 - Urban Design Brief - D07-16-24-0022'
  • Construction site plan for project from page 36 of the file '2024-12-09 - Urban Design Brief - D07-16-24-0022'
  • Construction site plan for project from page 38 of the file '2024-12-09 - Urban Design Brief - D07-16-24-0022'
  • Construction site plan for project from page 39 of the file '2024-12-09 - Urban Design Brief - D07-16-24-0022'
  • Construction site plan for project from page 41 of the file '2024-12-09 - Urban Design Brief - D07-16-24-0022'
  • Construction site plan for project from page 43 of the file '2024-12-09 - Urban Design Brief - D07-16-24-0022'
  • Construction site plan for project from page 48 of the file '2024-12-09 - Urban Design Brief - D07-16-24-0022'
  • Construction site plan for project from page 49 of the file '2024-12-09 - Urban Design Brief - D07-16-24-0022'
  • Construction site plan for project from page 50 of the file '2024-12-09 - Urban Design Brief - D07-16-24-0022'
  • Construction site plan for project from page 50 of the file '2024-12-09 - Urban Design Brief - D07-16-24-0022'
  • Construction site plan for project from page 50 of the file '2024-12-09 - Urban Design Brief - D07-16-24-0022'
  • Construction site plan for project from page 51 of the file '2024-12-09 - Urban Design Brief - D07-16-24-0022'
  • Construction site plan for project from page 51 of the file '2024-12-09 - Urban Design Brief - D07-16-24-0022'
  • Construction site plan for project from page 51 of the file '2024-12-09 - Urban Design Brief - D07-16-24-0022'
  • Construction site plan for project from page 51 of the file '2024-12-09 - Urban Design Brief - D07-16-24-0022'
  • Construction site plan for project from page 51 of the file '2024-12-09 - Urban Design Brief - D07-16-24-0022'
  • Construction site plan for project from page 51 of the file '2024-12-09 - Urban Design Brief - D07-16-24-0022'
  • Construction site plan for project from page 52 of the file '2024-12-09 - Urban Design Brief - D07-16-24-0022'
  • Construction site plan for project from page 52 of the file '2024-12-09 - Urban Design Brief - D07-16-24-0022'
  • Construction site plan for project from page 52 of the file '2024-12-09 - Urban Design Brief - D07-16-24-0022'
  • Construction site plan for project from page 53 of the file '2024-12-09 - Urban Design Brief - D07-16-24-0022'
  • Construction site plan for project from page 53 of the file '2024-12-09 - Urban Design Brief - D07-16-24-0022'
  • Construction site plan for project from page 53 of the file '2024-12-09 - Urban Design Brief - D07-16-24-0022'
  • Construction site plan for project from page 53 of the file '2024-12-09 - Urban Design Brief - D07-16-24-0022'
  • Construction site plan for project from page 53 of the file '2024-12-09 - Urban Design Brief - D07-16-24-0022'
  • Construction site plan for project from page 53 of the file '2024-12-09 - Urban Design Brief - D07-16-24-0022'
  • Construction site plan for project from page 54 of the file '2024-12-09 - Urban Design Brief - D07-16-24-0022'
  • Construction site plan for project from page 54 of the file '2024-12-09 - Urban Design Brief - D07-16-24-0022'
  • Construction site plan for project from page 55 of the file '2024-12-09 - Urban Design Brief - D07-16-24-0022'
  • Construction site plan for project from page 55 of the file '2024-12-09 - Urban Design Brief - D07-16-24-0022'
  • Construction site plan for project from page 55 of the file '2024-12-09 - Urban Design Brief - D07-16-24-0022'
  • Construction site plan for project from page 8 of the file '2025-09-26 - Urban Design Review Panel - D07-16-24-0022'
  • Construction site plan for project from page 9 of the file '2025-09-26 - Urban Design Review Panel - D07-16-24-0022'
  • Construction site plan for project from page 9 of the file '2025-09-26 - Urban Design Review Panel - D07-16-24-0022'
  • Construction site plan for project from page 10 of the file '2025-09-26 - Urban Design Review Panel - D07-16-24-0022'
  • Construction site plan for project from page 10 of the file '2025-09-26 - Urban Design Review Panel - D07-16-24-0022'
  • Construction site plan for project from page 10 of the file '2025-09-26 - Urban Design Review Panel - D07-16-24-0022'
  • Construction site plan for project from page 11 of the file '2025-09-26 - Urban Design Review Panel - D07-16-24-0022'
  • Construction site plan for project from page 11 of the file '2025-09-26 - Urban Design Review Panel - D07-16-24-0022'
  • Construction site plan for project from page 16 of the file '2025-09-26 - Urban Design Review Panel - D07-16-24-0022'
  • Construction site plan for project from page 16 of the file '2025-09-26 - Urban Design Review Panel - D07-16-24-0022'
  • Construction site plan for project from page 16 of the file '2025-09-26 - Urban Design Review Panel - D07-16-24-0022'
  • Construction site plan for project from page 16 of the file '2025-09-26 - Urban Design Review Panel - D07-16-24-0022'
  • Construction site plan for project from page 16 of the file '2025-09-26 - Urban Design Review Panel - D07-16-24-0022'
  • Construction site plan for project from page 17 of the file '2025-09-26 - Urban Design Review Panel - D07-16-24-0022'
  • Floor plan for project from page 17 of the file '2025-09-26 - Urban Design Review Panel - D07-16-24-0022'
  • Construction site plan for project from page 18 of the file '2025-09-26 - Urban Design Review Panel - D07-16-24-0022'
  • Construction site plan for project from page 19 of the file '2025-09-26 - Urban Design Review Panel - D07-16-24-0022'
  • Construction site plan for project from page 20 of the file '2025-09-26 - Urban Design Review Panel - D07-16-24-0022'
  • Construction site plan for project from page 22 of the file '2025-09-26 - Urban Design Review Panel - D07-16-24-0022'
  • Construction site plan for project from page 22 of the file '2025-09-26 - Urban Design Review Panel - D07-16-24-0022'
  • Construction site plan for project from page 22 of the file '2025-09-26 - Urban Design Review Panel - D07-16-24-0022'
  • Construction site plan for project from page 24 of the file '2025-09-26 - Urban Design Review Panel - D07-16-24-0022'
  • Construction site plan for project from page 25 of the file '2025-09-26 - Urban Design Review Panel - D07-16-24-0022'
  • Construction site plan for project from page 26 of the file '2025-09-26 - Urban Design Review Panel - D07-16-24-0022'
  • Construction site plan for project from page 30 of the file '2025-09-26 - Urban Design Review Panel - D07-16-24-0022'
  • Construction site plan for project from page 31 of the file '2025-09-26 - Urban Design Review Panel - D07-16-24-0022'
  • Construction site plan for project from page 33 of the file '2025-09-26 - Urban Design Review Panel - D07-16-24-0022'
  • Construction site plan for project from page 33 of the file '2025-09-26 - Urban Design Review Panel - D07-16-24-0022'
  • Construction site plan for project from page 34 of the file '2025-09-26 - Urban Design Review Panel - D07-16-24-0022'
  • Construction site plan for project from page 34 of the file '2025-09-26 - Urban Design Review Panel - D07-16-24-0022'
  • Construction site plan for project from page 34 of the file '2025-09-26 - Urban Design Review Panel - D07-16-24-0022'
  • Construction site plan for project from page 34 of the file '2025-09-26 - Urban Design Review Panel - D07-16-24-0022'
  • Construction site plan for project from page 35 of the file '2025-09-26 - Urban Design Review Panel - D07-16-24-0022'
  • Construction site plan for project from page 35 of the file '2025-09-26 - Urban Design Review Panel - D07-16-24-0022'
  • Construction site plan for project from page 35 of the file '2025-09-26 - Urban Design Review Panel - D07-16-24-0022'
  • Construction site plan for project from page 36 of the file '2025-09-26 - Urban Design Review Panel - D07-16-24-0022'
  • Construction site plan for project from page 36 of the file '2025-09-26 - Urban Design Review Panel - D07-16-24-0022'
  • Construction site plan for project from page 9 of the file '2024-12-09 - Urban Design Brief - D07-16-24-0022'
  • Construction site plan for project from page 9 of the file '2024-12-09 - Urban Design Brief - D07-16-24-0022'
  • Construction site plan for project from page 18 of the file '2024-12-09 - Urban Design Brief - D07-16-24-0022'
  • Construction site plan for project from page 19 of the file '2024-12-09 - Urban Design Brief - D07-16-24-0022'
  • Construction site plan for project from page 19 of the file '2024-12-09 - Urban Design Brief - D07-16-24-0022'
  • Construction site plan for project from page 20 of the file '2024-12-09 - Urban Design Brief - D07-16-24-0022'
  • Construction site plan for project from page 20 of the file '2024-12-09 - Urban Design Brief - D07-16-24-0022'
  • Construction site plan for project from page 20 of the file '2024-12-09 - Urban Design Brief - D07-16-24-0022'
  • Construction site plan for project from page 21 of the file '2024-12-09 - Urban Design Brief - D07-16-24-0022'
  • Construction site plan for project from page 21 of the file '2024-12-09 - Urban Design Brief - D07-16-24-0022'
  • Construction site plan for project from page 21 of the file '2024-12-09 - Urban Design Brief - D07-16-24-0022'
  • Floor plan for project from page 26 of the file '2024-12-09 - Urban Design Brief - D07-16-24-0022'
  • Floor plan for project from page 26 of the file '2024-12-09 - Urban Design Brief - D07-16-24-0022'
  • Floor plan for project from page 26 of the file '2024-12-09 - Urban Design Brief - D07-16-24-0022'
  • Construction site plan for project from page 27 of the file '2024-12-09 - Urban Design Brief - D07-16-24-0022'
  • Construction site plan for project from page 28 of the file '2024-12-09 - Urban Design Brief - D07-16-24-0022'
  • Construction site plan for project from page 29 of the file '2024-12-09 - Urban Design Brief - D07-16-24-0022'
  • Construction site plan for project from page 30 of the file '2024-12-09 - Urban Design Brief - D07-16-24-0022'
  • Construction site plan for project from page 31 of the file '2024-12-09 - Urban Design Brief - D07-16-24-0022'
  • Construction site plan for project from page 33 of the file '2024-12-09 - Urban Design Brief - D07-16-24-0022'
  • Construction site plan for project from page 34 of the file '2024-12-09 - Urban Design Brief - D07-16-24-0022'
  • Construction site plan for project from page 35 of the file '2024-12-09 - Urban Design Brief - D07-16-24-0022'
  • Construction site plan for project from page 36 of the file '2024-12-09 - Urban Design Brief - D07-16-24-0022'
  • Construction site plan for project from page 38 of the file '2024-12-09 - Urban Design Brief - D07-16-24-0022'
  • Construction site plan for project from page 39 of the file '2024-12-09 - Urban Design Brief - D07-16-24-0022'
  • Construction site plan for project from page 41 of the file '2024-12-09 - Urban Design Brief - D07-16-24-0022'
  • Construction site plan for project from page 43 of the file '2024-12-09 - Urban Design Brief - D07-16-24-0022'
  • Construction site plan for project from page 48 of the file '2024-12-09 - Urban Design Brief - D07-16-24-0022'
  • Construction site plan for project from page 49 of the file '2024-12-09 - Urban Design Brief - D07-16-24-0022'
  • Construction site plan for project from page 50 of the file '2024-12-09 - Urban Design Brief - D07-16-24-0022'
  • Construction site plan for project from page 50 of the file '2024-12-09 - Urban Design Brief - D07-16-24-0022'
  • Construction site plan for project from page 50 of the file '2024-12-09 - Urban Design Brief - D07-16-24-0022'
  • Construction site plan for project from page 51 of the file '2024-12-09 - Urban Design Brief - D07-16-24-0022'
  • Construction site plan for project from page 51 of the file '2024-12-09 - Urban Design Brief - D07-16-24-0022'
  • Construction site plan for project from page 51 of the file '2024-12-09 - Urban Design Brief - D07-16-24-0022'
  • Construction site plan for project from page 51 of the file '2024-12-09 - Urban Design Brief - D07-16-24-0022'
  • Construction site plan for project from page 51 of the file '2024-12-09 - Urban Design Brief - D07-16-24-0022'
  • Construction site plan for project from page 51 of the file '2024-12-09 - Urban Design Brief - D07-16-24-0022'
  • Construction site plan for project from page 52 of the file '2024-12-09 - Urban Design Brief - D07-16-24-0022'
  • Construction site plan for project from page 52 of the file '2024-12-09 - Urban Design Brief - D07-16-24-0022'
  • Construction site plan for project from page 52 of the file '2024-12-09 - Urban Design Brief - D07-16-24-0022'
  • Construction site plan for project from page 53 of the file '2024-12-09 - Urban Design Brief - D07-16-24-0022'
  • Construction site plan for project from page 53 of the file '2024-12-09 - Urban Design Brief - D07-16-24-0022'
  • Construction site plan for project from page 53 of the file '2024-12-09 - Urban Design Brief - D07-16-24-0022'
  • Construction site plan for project from page 53 of the file '2024-12-09 - Urban Design Brief - D07-16-24-0022'
  • Construction site plan for project from page 53 of the file '2024-12-09 - Urban Design Brief - D07-16-24-0022'
  • Construction site plan for project from page 53 of the file '2024-12-09 - Urban Design Brief - D07-16-24-0022'
  • Construction site plan for project from page 54 of the file '2024-12-09 - Urban Design Brief - D07-16-24-0022'
  • Construction site plan for project from page 54 of the file '2024-12-09 - Urban Design Brief - D07-16-24-0022'
  • Construction site plan for project from page 55 of the file '2024-12-09 - Urban Design Brief - D07-16-24-0022'
  • Construction site plan for project from page 55 of the file '2024-12-09 - Urban Design Brief - D07-16-24-0022'
  • Construction site plan for project from page 55 of the file '2024-12-09 - Urban Design Brief - D07-16-24-0022'
  • Construction site plan for project from page 8 of the file '2025-09-26 - Urban Design Review Panel - D07-16-24-0022'
  • Construction site plan for project from page 9 of the file '2025-09-26 - Urban Design Review Panel - D07-16-24-0022'
  • Construction site plan for project from page 9 of the file '2025-09-26 - Urban Design Review Panel - D07-16-24-0022'
  • Construction site plan for project from page 10 of the file '2025-09-26 - Urban Design Review Panel - D07-16-24-0022'
  • Construction site plan for project from page 10 of the file '2025-09-26 - Urban Design Review Panel - D07-16-24-0022'
  • Construction site plan for project from page 10 of the file '2025-09-26 - Urban Design Review Panel - D07-16-24-0022'
  • Construction site plan for project from page 11 of the file '2025-09-26 - Urban Design Review Panel - D07-16-24-0022'
  • Construction site plan for project from page 11 of the file '2025-09-26 - Urban Design Review Panel - D07-16-24-0022'
  • Construction site plan for project from page 16 of the file '2025-09-26 - Urban Design Review Panel - D07-16-24-0022'
  • Construction site plan for project from page 16 of the file '2025-09-26 - Urban Design Review Panel - D07-16-24-0022'
  • Construction site plan for project from page 16 of the file '2025-09-26 - Urban Design Review Panel - D07-16-24-0022'
  • Construction site plan for project from page 16 of the file '2025-09-26 - Urban Design Review Panel - D07-16-24-0022'
  • Construction site plan for project from page 16 of the file '2025-09-26 - Urban Design Review Panel - D07-16-24-0022'
  • Construction site plan for project from page 17 of the file '2025-09-26 - Urban Design Review Panel - D07-16-24-0022'
  • Floor plan for project from page 17 of the file '2025-09-26 - Urban Design Review Panel - D07-16-24-0022'
  • Construction site plan for project from page 18 of the file '2025-09-26 - Urban Design Review Panel - D07-16-24-0022'
  • Construction site plan for project from page 19 of the file '2025-09-26 - Urban Design Review Panel - D07-16-24-0022'
  • Construction site plan for project from page 20 of the file '2025-09-26 - Urban Design Review Panel - D07-16-24-0022'
  • Construction site plan for project from page 22 of the file '2025-09-26 - Urban Design Review Panel - D07-16-24-0022'
  • Construction site plan for project from page 22 of the file '2025-09-26 - Urban Design Review Panel - D07-16-24-0022'
  • Construction site plan for project from page 22 of the file '2025-09-26 - Urban Design Review Panel - D07-16-24-0022'
  • Construction site plan for project from page 24 of the file '2025-09-26 - Urban Design Review Panel - D07-16-24-0022'
  • Construction site plan for project from page 25 of the file '2025-09-26 - Urban Design Review Panel - D07-16-24-0022'
  • Construction site plan for project from page 26 of the file '2025-09-26 - Urban Design Review Panel - D07-16-24-0022'
  • Construction site plan for project from page 30 of the file '2025-09-26 - Urban Design Review Panel - D07-16-24-0022'
  • Construction site plan for project from page 31 of the file '2025-09-26 - Urban Design Review Panel - D07-16-24-0022'
  • Construction site plan for project from page 33 of the file '2025-09-26 - Urban Design Review Panel - D07-16-24-0022'
  • Construction site plan for project from page 33 of the file '2025-09-26 - Urban Design Review Panel - D07-16-24-0022'
  • Construction site plan for project from page 34 of the file '2025-09-26 - Urban Design Review Panel - D07-16-24-0022'
  • Construction site plan for project from page 34 of the file '2025-09-26 - Urban Design Review Panel - D07-16-24-0022'
  • Construction site plan for project from page 34 of the file '2025-09-26 - Urban Design Review Panel - D07-16-24-0022'
  • Construction site plan for project from page 34 of the file '2025-09-26 - Urban Design Review Panel - D07-16-24-0022'
  • Construction site plan for project from page 35 of the file '2025-09-26 - Urban Design Review Panel - D07-16-24-0022'
  • Construction site plan for project from page 35 of the file '2025-09-26 - Urban Design Review Panel - D07-16-24-0022'
  • Construction site plan for project from page 35 of the file '2025-09-26 - Urban Design Review Panel - D07-16-24-0022'
  • Construction site plan for project from page 36 of the file '2025-09-26 - Urban Design Review Panel - D07-16-24-0022'
  • Construction site plan for project from page 36 of the file '2025-09-26 - Urban Design Review Panel - D07-16-24-0022'

Documents #

TypeDocument
Adequacy Of Public Services2024-12-02 - Adequacy of Public Servicing Report - D07-16-24-0022
Adequacy Of Public Services2025-09-04 - Assessment of Adequacy Report - D07-16-24-0022
Application Summary2025-09-03 - Application Summary - D07-16-24-0022
Architectural Plans2024-09-24 - Proposed Site Plan - Land Use Plan - D07-16-24-0022
Architectural Plans2024-09-24 - Draft Plan of Subdivision - D07-16-24-0022
Architectural Plans2025-09-04 - Parking Plan - D07-16-24-0022
Architectural Plans2025-09-04 - Draft Plan of Subdivision - D07-16-24-0022
Architectural Plans2025-09-04 - Construction Management Plan - D07-16-24-0022
Design Brief2024-12-09 - Urban Design Brief - D07-16-24-0022
Design Brief2025-09-26 - Urban Design Review Panel - D07-16-24-0022
Environmental2024-09-24 - Phase I ESA - Tunney’s Pasture Blocks 1 & 2 - D07-16-24-0022
Environmental2024-09-24 - Phase I ESA - Tunney’s Pasture Block 6 - D07-16-24-0022
Environmental2024-09-24 - Phase I ESA - Tunney’s Pasture Block 5 - D07-16-24-0022
Environmental2024-09-24 - Phase I ESA - Tunney’s Pasture - Blocks 3 & 4 - D07-16-24-0022
Environmental2024-09-24 - Phase I ESA - Tunney’s Pasture - Block 9 - D07-16-24-0022
Environmental2024-09-24 - Phase I ESA - Tunney’s Pasture - Block 8 - D07-16-24-0022
Environmental2024-09-24 - Phase I ESA - Tunney’s Pasture - Block 10 - D07-16-24-0022
Environmental2025-09-04 - Phase II ESA (Blocks 1 & 2) - D07-16-24-0022
Environmental2025-09-04 - Phase II ESA (Block 9) - D07-16-24-0022
Environmental2025-09-04 - Phase II ESA (Block 8) - D07-16-24-0022
Environmental2025-09-04 - Phase II ESA (Block 6) - D07-16-24-0022
Environmental2025-09-04 - Phase II ESA (Block 5) - D07-16-24-0022
Environmental2025-09-04 - Phase II ESA (Block 10) - D07-16-24-0022
Environmental2025-09-04 - Phase II ESA - D07-16-24-0022
Environmental2025-09-04 - Phase I ESA (Blocks 3 & 4) - D07-16-24-0022
Environmental2025-09-04 - Phase I ESA (Blocks 1 & 2) - D07-16-24-0022
Environmental2025-09-04 - Phase I ESA (Block 9) - D07-16-24-0022
Environmental2025-09-04 - Phase I ESA (Block 8) - D07-16-24-0022
Environmental2025-09-04 - Phase I ESA (Block 6) - D07-16-24-0022
Environmental2025-09-04 - Phase I ESA (Block 5) - D07-16-24-0022
Environmental2025-09-04 - Phase I ESA (Block 10) - D07-16-24-0022
Environmental2025-09-04 - Phase I ESA - D07-16-24-0022
Geotechnical Report2024-09-24 - Geotechnical Investigation - D07-16-24-0022
Geotechnical Report2025-09-04 - Grading and Drainage Plan - D07-16-24-0022
Geotechnical Report2025-09-04 - Geotechnical Investigation - D07-16-24-0022
Landscape Plan2024-12-02 - Landscape Concept Plan - D07-16-24-0022
Landscape Plan2025-09-04 - Landscape Concept Plan - D07-16-24-0022
Noise Study2024-09-24 - Traffic Noise Feasibility - D07-16-24-0022
Planning2024-12-09 - Planning Rationale Report - D07-16-24-0022
Planning2024-09-24 - Planning Rationale Report - D07-16-24-0022
Planning2025-07-29 - Planning Rationale Report - D07-16-24-0022
Surveying2024-12-02 - Topographic Surveys PRC Building T D1 - D07-16-24-0022
Surveying2024-12-02 - Topographic Surveys Main Building T D2 - D07-16-24-0022
Surveying2024-12-02 - Topographic Surveys B Claxton Building T D2 - D07-16-24-0022
Surveying2024-09-24 - Plan of Survey - D07-16-24-0022
Surveying2025-09-04 - Boundary Survey - D07-16-24-0022
Transportation Analysis2025-09-04 - Transportation Imapct Assessment - D07-16-24-0022
Tree Information and Conservation2024-12-02 - Arborist Report - D07-16-24-0022
Tree Information and Conservation2025-09-04 - Arborist Report - D07-16-24-0022
2024-09-24 - Draft Heritage Interpretation Strategy - D07-16-24-0022
2025-09-04 - Low Impact Development Design Memo - D07-16-24-0022
2025-09-04 - Essence of Place Tunney’s Pasture Interpretation Framework - D07-16-24-0022
2025-09-04 - Consolidated Legal Descriptions - D07-16-24-0022