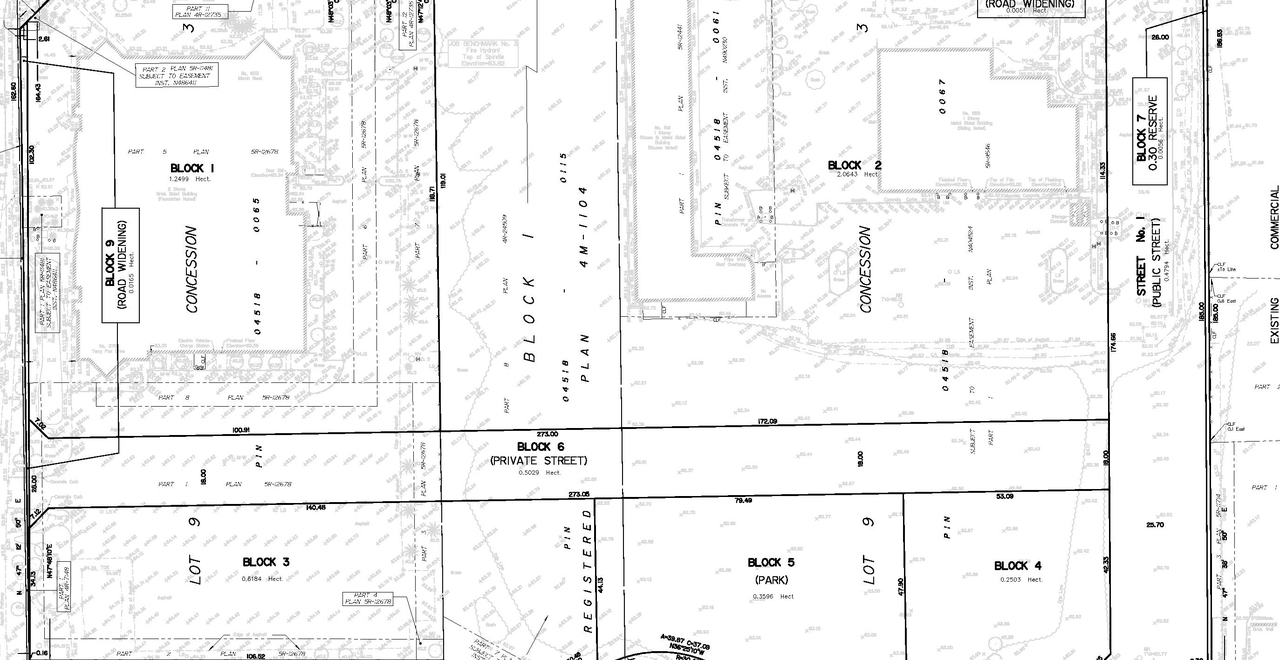
555-603 March Rd. (D07-16-23-0020) #
Summary #
| Application Status | File Pending |
| Review Status | Application File Pending |
| Description | The City of Ottawa has received a Plan of Subdivision application to permit the development of a mixed-use community consisting office, residential and mixed-use buildings, a modified grid network of public and private streets, and a park. |
| Ward | Ward 4 - Cathy Curry |
| Date Initiated | 2023-12-21 |
| Last Updated | 2024-04-17 |
Renders #
Location #
Select a marker to view the address.
Site Plans, Elevations and Floor Plans #
Documents #
Additional Information #
| All Addresses | 555 March Rd. 591 March Rd. 595 March Rd. 603 March Rd. |










