5970 Ottawa/6012 Ottawa/6038 Ottawa (D07-16-20-0028)

5970 Ottawa/6012 Ottawa/6038 Ottawa (D07-16-20-0028) #

Summary #

Application StatusActive
Review StatusPublic Meeting Held
DescriptionApplication for draft plan of subdivision for residential development on former industrial lands in Richmond
WardWard 21 - David Brown
Date Initiated2020-11-20
Last Updated2025-10-20

Site and Floor Plans #

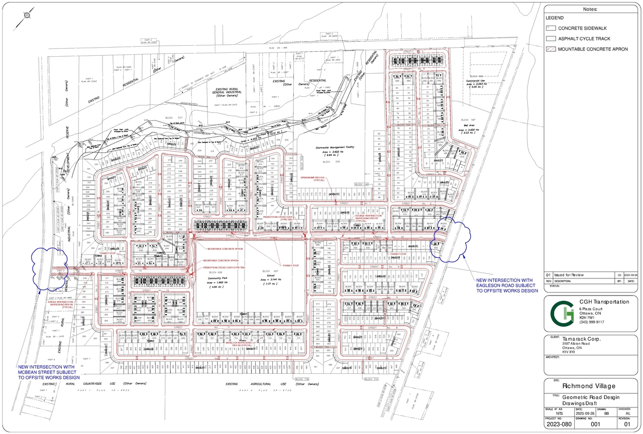
  • Construction site plan for project from page 1 of the file '2025-10-20 - Geometric Road Design Drawing Draft - D07-16-20-0028'
  • Construction site plan for project from page 1 of the file '2025-10-20 - Geometric Road Design Drawing Draft - D07-16-20-0028'

Documents #

TypeDocument
Application Summary2021-09-03 - Application Summary - D07-16-20-0028
Archaelogical Assessment2021-01-11 - Archaeological Assessment
Archaelogical Assessment2020-11-20 - Archaeological Assessment Stage 1 - D07-16-20-0028
Archaelogical Assessment2025-03-26 - Stage 1 Archaeological Assessment - D07-16-20-0028
Archaelogical Assessment2025-10-20 - Stage 2 Archaeological Assessment - D07-16-20-0028
Architectural Plans2020-11-20 - Preliminary Concept Plan - D07-16-20-0028
Architectural Plans2020-11-20 - Plan of Subdivision and Zoning Final - D07-16-20-0028
Architectural Plans2020-11-20 - Concept Plan B - D07-16-20-0028
Architectural Plans2025-03-26 - Draft Plan - D07-16-20-0028
Architectural Plans2025-10-20 - Concept Plan - D07-16-20-0028
Architectural Plans2025-10-20 - Draft Plan of Subdivision - D07-16-20-0028
Design Brief2025-10-20 - Geometric Road Design Drawing Draft - D07-16-20-0028
Environmental2021-01-11 - Phase I ESA - Vacant Land (Eagleson Road)
Environmental202011-20 - Environmental Impact Statement - D07-16-20-0028
Environmental2020-11-20 - Phase I Environmental Site Assessment - D07-16-20-0028
Environmental2025-03-26 - Environmental Impact Statement - D07-16-20-0028
Environmental2025-10-20 - Environmental Impact Statement - D07-16-20-0028
Erosion And Sediment Control Plan2021-01-04 - Erosion and Sediment Control Plan - D07-16-20-0028
Geotechnical Report2021-04-07 - Hydrogeological Report
Geotechnical Report2021-01-04 - Grading Plan - D07-16-20-0028
Geotechnical Report2021-01-04 - Geotechnical Investigation - D07-16-20-0028
Geotechnical Report2020-11-20 - Geotechnical Investigation - D07-16-20-0028
Geotechnical Report2025-03-26 - Geotechnical Investigation - D07-16-20-0028
Geotechnical Report2025-10-20 - Geotechnical Report - D07-16-20-0028
Noise Study2021-01-04 - Noise & Vibration Feasibility - D07-16-20-0028
Noise Study2020-11-20 - Transportation Noise and Vibration Feasibility Assessment Final - D07-16-20-0028
Noise Study2025-03-26 - Transportation Noise & Vibration - D07-16-20-0028
Noise Study2025-10-20 - Transportation Noise & Vibration Study - D07-16-20-0028
Planning2025-03-26 - Planning Rationale - D07-16-20-0028
Planning2025-10-20 - Planning Rationale - D07-16-20-0028
Stormwater Management2025-10-20 - Marlborough Creek Preliminary Stormwater Design - D07-16-20-0028
Transportation Analysis2021-01-07 - Transportation Impact Assessment
Transportation Analysis2020-11-20 - Transportation Impact Assessment - D07-16-20-0028
Transportation Analysis2025-03-26 - Transportation Impact Assessment - D07-16-20-0028
2021-08-05 - Tamarack Development Hydraulic Analysis - combined
2021-04-07 - Fluvial Geomorphological Report
2021-01-04 - Railway Study - D07-16-20-0028
2020-11-20 - Integrated Environmental Review Statement - D07-16-20-0028
2020-11-20 - Functional Servicing Report - D07-16-20-0028
2025-03-26 - Sump Pump Feasibility Report - D07-16-20-0028
2025-03-26 - Marlborough Creek Outfall Des - D07-16-20-0028
2025-03-26 - Marlborough Creek Meander Belt Width - D07-16-20-0028
2025-03-26 - LID Feasibility Review - D07-16-20-0028
2025-03-26 - Functional Servicing Report - D07-16-20-0028
2025-10-20 - Sump Pump Feasibility Report - D07-16-20-0028
2025-10-20 - Marlborough Creek Outfall Design - D07-16-20-0028
2025-10-20 - Marlborough Creek Meander Belt Width - D07-16-20-0028
2025-10-20 - LID Feasibility Report - D07-16-20-0028
2025-10-20 - Functional Servicing Report - D07-16-20-0028