251 Linseed (D07-12-25-0148)#
Summary#
| Application Status | File Pending |
| Review Status | Application File Pending |
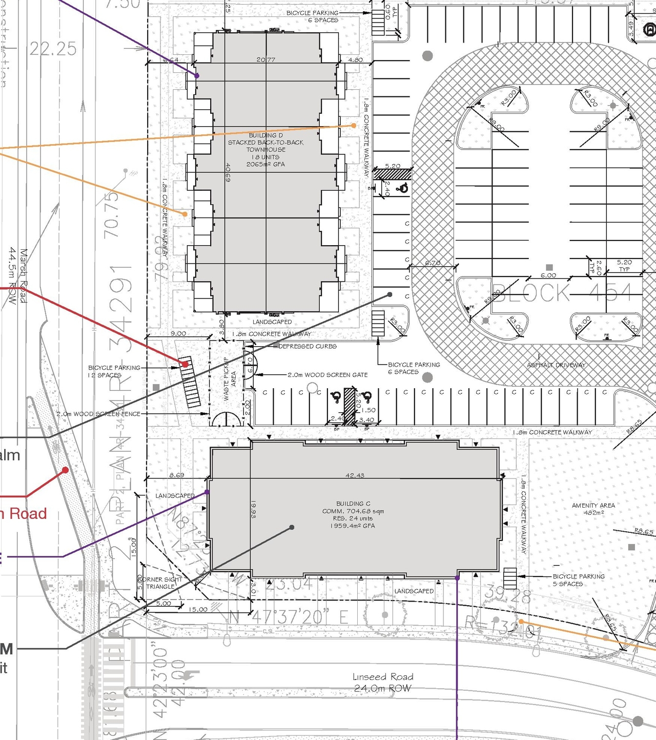
| Description | A Site Plan Control application has been submitted for a planned unit development consisting of a mixed-use building and three back-to-back townhouse blocks. The proposed development includes 72 residential units, 705 m2 of commercial space, and 117 parking spaces. |
| Ward | Ward 4 - Cathy Curry |
| Date Initiated | 2025-11-12 |
| Last Updated | 2026-02-12 |




