5618 Hazeldean Rd. (D07-12-25-0089)#
Summary#
| Application Status | File Pending |
| Review Status | Application File Pending |
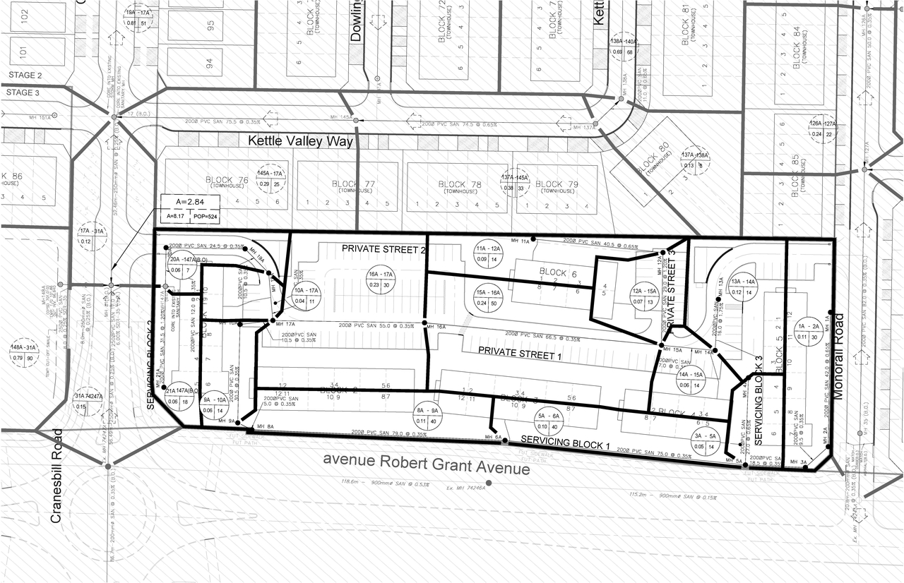
| Description | A Site Plan Control application to construct a Planned Unit Development (PUD) consisting of six stacked townhouse blocks totalling 124 units. Parking and amenity space will be provided within the site. |
| Ward | Ward 6 - Glen Gower |
| Date Initiated | 2025-06-30 |
| Last Updated | 2026-02-10 |
Renders#
Location#
Select a marker to view the address.
Site Plans, Elevations and Floor Plans#
Documents#
Related Projects#
| Project | Last Updated | Date Initiated |
|---|---|---|
5618 Hazeldean Rd. 5101 Abbott St. D02-02-24-0075 | 2025-08-29 | 2024-12-06 |
5618 Hazeldean Rd.
D07-16-16-0020 | 2024-10-11 | 2016-11-10 |

















