4497 O’Keefe Ct. (D07-12-25-0085) #
Summary #
| Application Status | Active |
| Review Status | None |
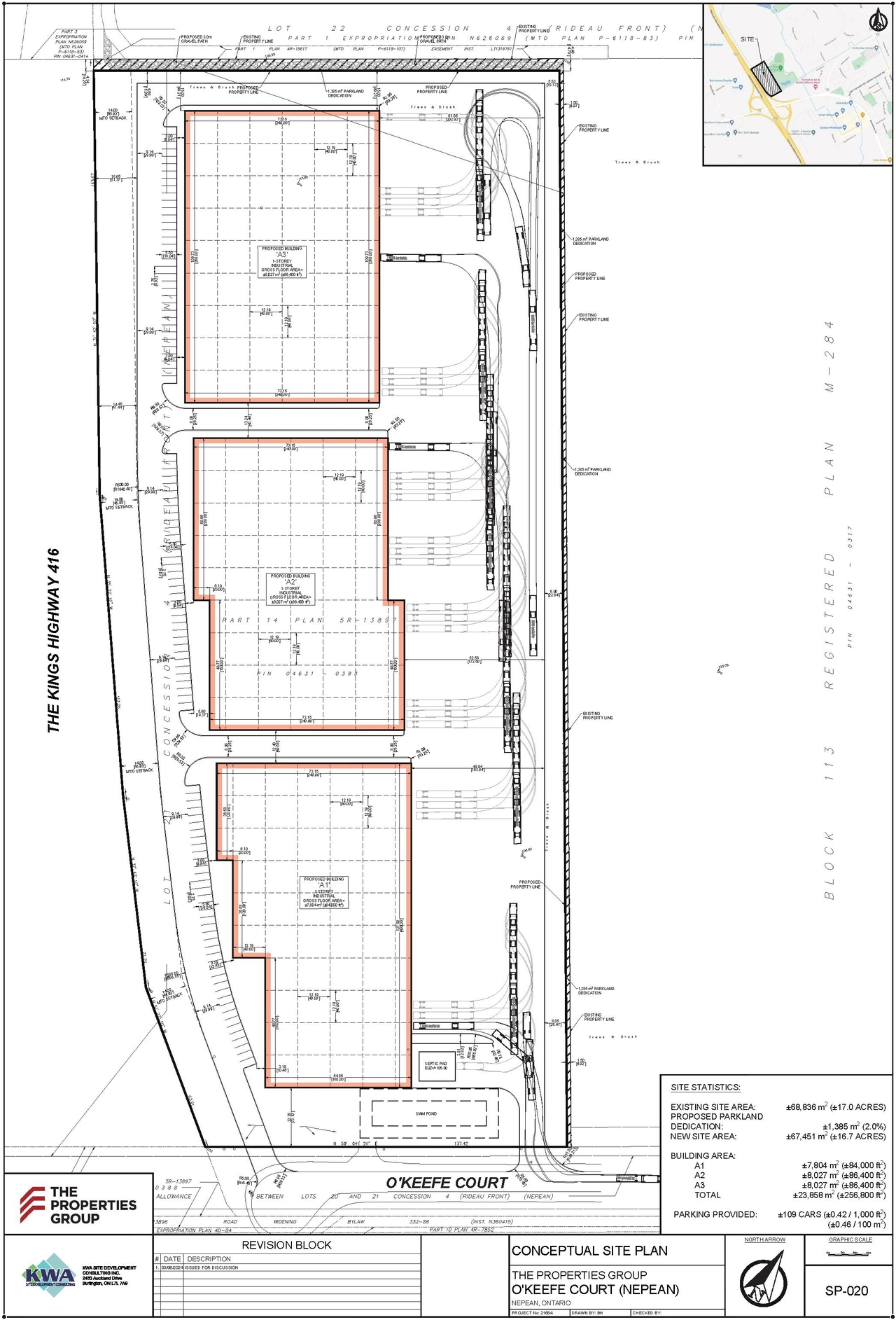
| Description | Three new light industrial warehouse buildings. Building A3 and A2 are 8027m2 and building A3 is 7804 m2. Total proposed building area is 23,858 m2. Buildings will be demised into smaller units and leased for light industrial warehouse purposes. Site plan has been designed and developed in campus-style format with the buildings facing Highway 416 with separate access to customer and employee parking along the west building elevations, and separate dedicated access for shipping and receiving along the east building elevations. This project will be serviced by municipal water service and a private sewage treatment plant. |
| Ward | Ward 3 - David Hill |
| Date Initiated | 2025-06-19 |
| Last Updated | 2025-10-29 |
Renders #
Location #
Select a marker to view the address.
Site and Floor Plans #
Documents #
Related Projects #
| Project | Last Updated | Date Initiated |
|---|---|---|
4497 O'Keefe Ct.
D01-01-24-0023 | 2025-12-23 | 2024-10-21 |
4497 O'Keefe Ct.
D02-02-25-0061 | 2025-12-08 | 2025-08-22 |












