1440 Prince Of Wales (D07-12-24-0166)

1440 Prince Of Wales (D07-12-24-0166) #

Summary #

Application StatusActive
Review StatusApplication Reactivated
DescriptionA new gas station, consisting of a gas bar canopy and convenience store.
WardWard 16 - Riley Brockington
Date Initiated2024-12-11
Last Updated2025-09-24

Renders #

  • Rendering of building from page 4 of the file '2024-12-11 - Urban Design Brief - D07-12-24-0166'
  • Rendering of building from page 4 of the file '2024-12-11 - Urban Design Brief - D07-12-24-0166'

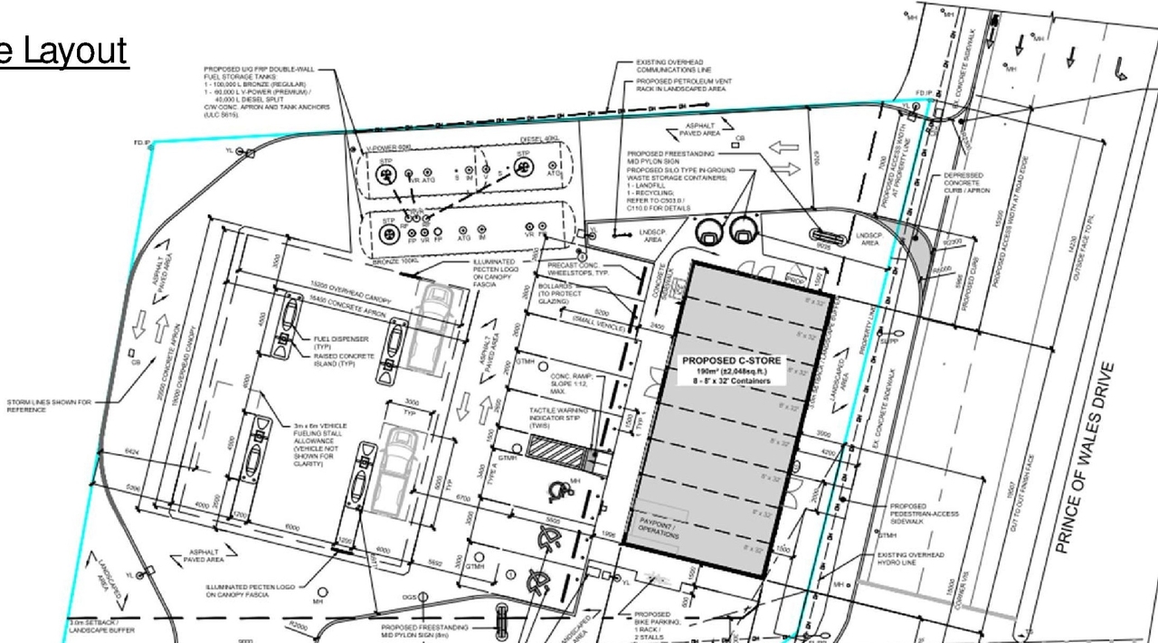
Site and Floor Plans #

  • Construction site plan for project from page 4 of the file '2024-12-11 - Urban Design Brief - D07-12-24-0166'
  • Construction site plan for project from page 5 of the file '2024-12-11 - Urban Design Brief - D07-12-24-0166'
  • Construction site plan for project from page 8 of the file '2024-12-11 - Urban Design Brief - D07-12-24-0166'
  • Construction site plan for project from page 9 of the file '2024-12-11 - Urban Design Brief - D07-12-24-0166'
  • Construction site plan for project from page 10 of the file '2024-12-11 - Urban Design Brief - D07-12-24-0166'
  • Construction site plan for project from page 4 of the file '2024-12-11 - Urban Design Brief - D07-12-24-0166'
  • Construction site plan for project from page 5 of the file '2024-12-11 - Urban Design Brief - D07-12-24-0166'
  • Construction site plan for project from page 8 of the file '2024-12-11 - Urban Design Brief - D07-12-24-0166'
  • Construction site plan for project from page 9 of the file '2024-12-11 - Urban Design Brief - D07-12-24-0166'
  • Construction site plan for project from page 10 of the file '2024-12-11 - Urban Design Brief - D07-12-24-0166'

Files #

TypeNameLinks
Application Summary2025-01-31 - Application Summary - D07-12-24-0166Download PDF
Architectural Plans2024-12-11 - Waste Collection Plan Route - D07-12-24-0166Download PDF
Architectural Plans2024-12-11 - Site Grading Plan - D07-12-24-0166Download PDF
Architectural Plans2024-12-11 - Preliminary Site Plan Custom Container Concept - D07-12-24-0166Download PDF
Architectural Plans2024-12-11 - Fuel Pump Plan, Details - D07-12-24-0166Download PDF
Architectural Plans2024-12-11 - Fuel Pump Elevations - D07-12-24-0166Download PDF
Architectural Plans2024-12-11 - C-Store Elevations - D07-12-24-0166Download PDF
Design Brief2024-12-11 - Urban Design Brief - D07-12-24-0166Download PDF
Environmental2024-12-11 - Phase II ESA - D07-12-24-0166Download PDF
Environmental2024-12-11 - Phase I ESA - D07-12-24-0166Download PDF
Erosion And Sediment Control Plan2024-12-11 - Erosion & Sediment Control Plan - D07-12-24-0166Download PDF
Geotechnical Report2024-12-11 - Geotechnical Investigation - D07-12-24-0166Download PDF
Landscape Plan2024-12-11 - Landscape Plan - D07-12-24-0166Download PDF
Noise Study2024-12-11 - Noise Impact Assessment - D07-12-24-0166Download PDF
Planning2024-12-11 - Zoning Confirmation Report - D07-12-24-0166Download PDF
Site Servicing2024-12-11 - Site Servicing Report - D07-12-24-0166Download PDF
Site Servicing2024-12-11 - Site Servicing Plan - D07-12-24-0166Download PDF
Site Servicing2024-12-11 - Site Servicing Details - D07-12-24-0166Download PDF
Stormwater Management2024-12-11 - SWM Report - D07-12-24-0166Download PDF
Stormwater Management2024-12-11 - SWM Plan & Proposed Redevelopment - D07-12-24-0166Download PDF
Stormwater Management2024-12-11 - SWM Plan & Existing Conditions - D07-12-24-0166Download PDF
Surveying2024-12-11 - Plan of Survey - D07-12-24-0166Download PDF
Tree Information and Conservation2024-12-11 - Tree Protection Plan - D07-12-24-0166Download PDF
Tree Information and Conservation2024-12-11 - Tree Conservation Report - D07-12-24-0166Download PDF
2024-12-11 - Site Details - D07-12-24-0166Download PDF
2024-12-11 - Plant Schedule & Details - D07-12-24-0166Download PDF
2024-12-11 - Bulk Vehicle Route - D07-12-24-0166Download PDF