1015-1045 Dairy Dr. (D07-12-24-0122)

1015-1045 Dairy Dr. (D07-12-24-0122) #

Summary #

Application StatusInactive
Review StatusApplication Approved by OMB
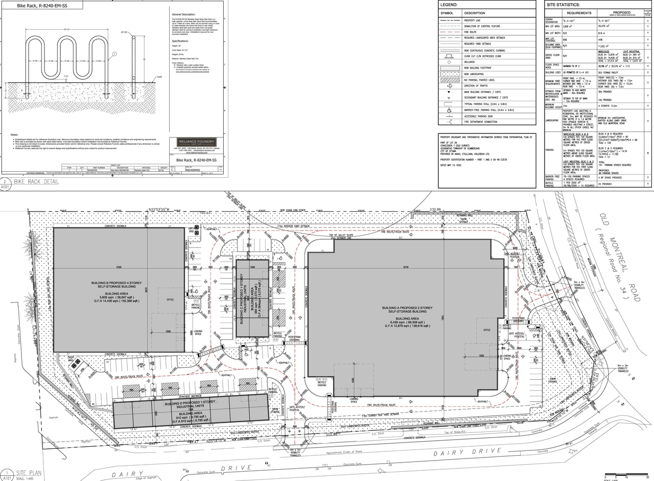
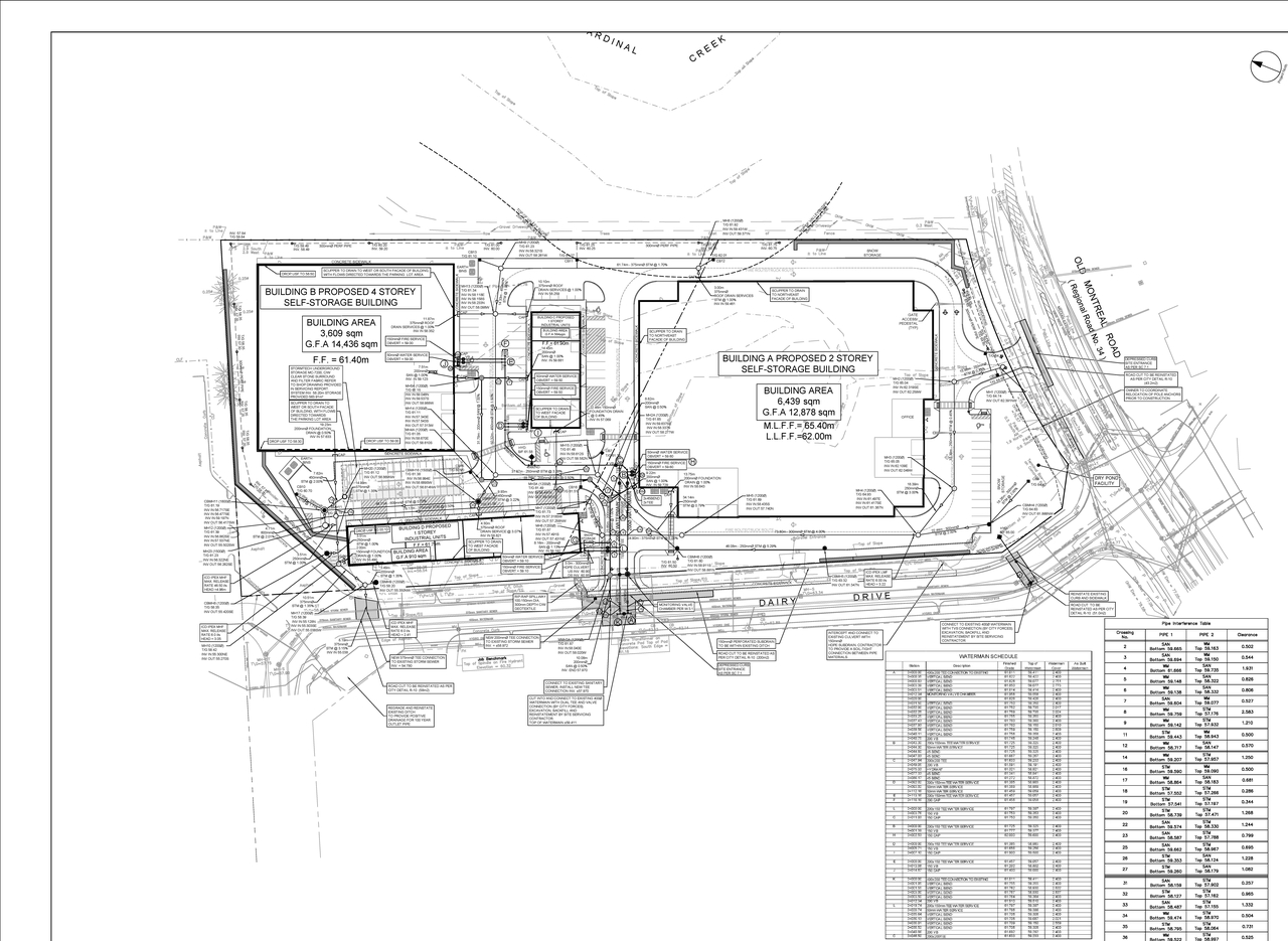
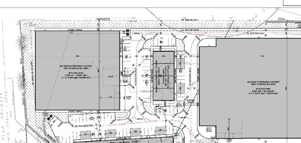
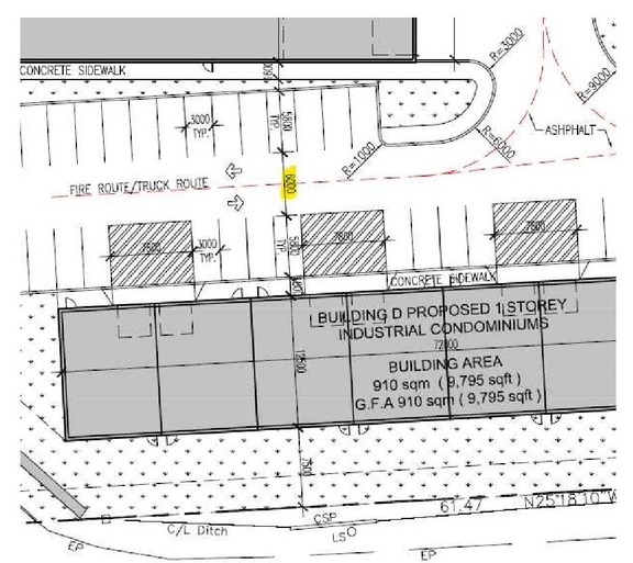
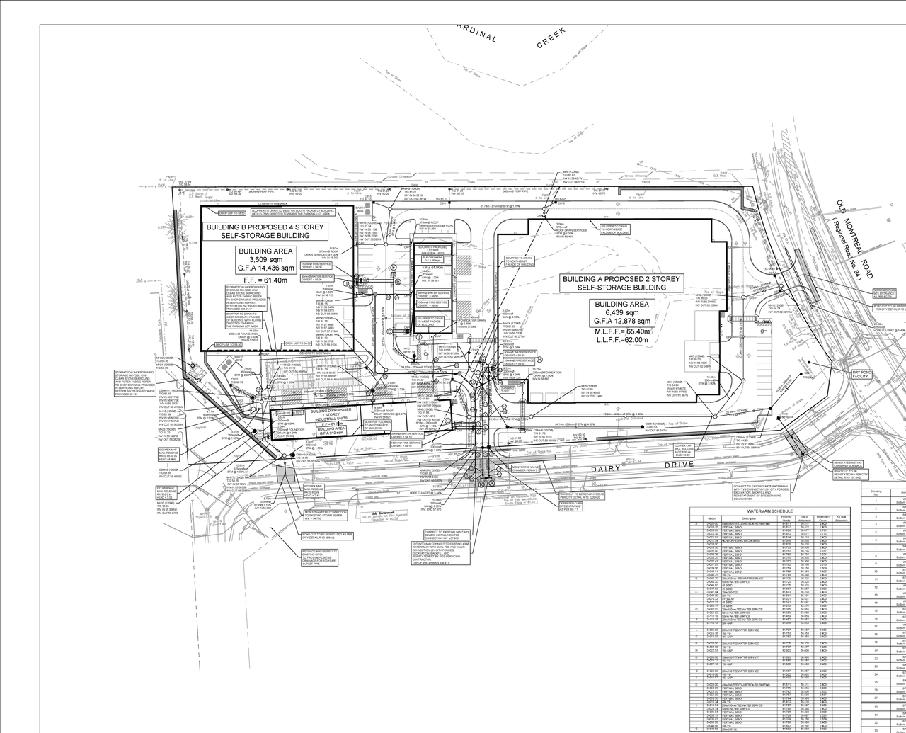
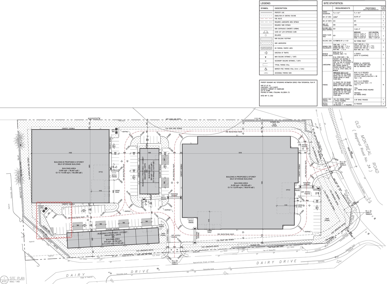
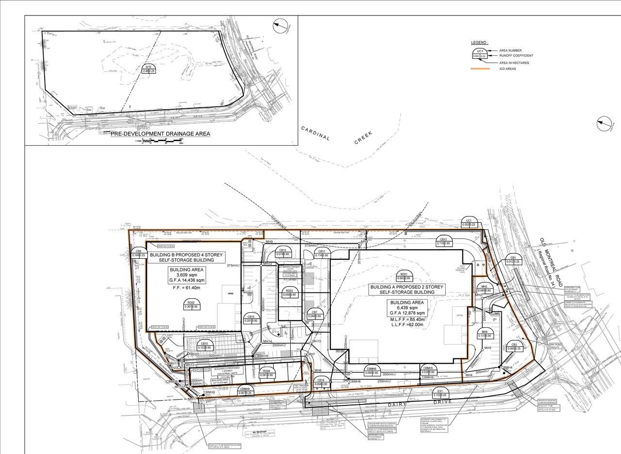
DescriptionA Site Plan Control application to construct a group of occupancies consisting of four low-rise buildings, two self-storage buildings (A and B) and two industrial buildings (C and D). The total proposed GFA is 27,314 square metres for the self-storage buildings and 1,474 square meters for the industrial buildings.
WardWard 1 - Matthew Luloff
Date Initiated2024-10-09
Last Updated2026-02-07

Location #

Select a marker to view the address.

Site Plans, Elevations and Floor Plans #

  • Image from page 123 of the file '2024-10-09 - Design Brief - D07-12-24-0122'
  • Image from page 2 of the file '2024-12-18 - Building Elevations and Floor Plans (Building B) - D07-12-24-0122'
  • Image from page 125 of the file '2024-10-09 - Design Brief - D07-12-24-0122'
  • Image from page 125 of the file '2024-10-09 - Design Brief - D07-12-24-0122'
  • Construction site plan for project from page 31 of the file '2025-07-02 - Design Brief - D07-12-24-0122'
  • Construction site plan for project from page 28 of the file '2024-10-09 - Design Brief - D07-12-24-0122'
  • Construction site plan for project from page 10 of the file '2024-10-09 - Urban Design Brief - D07-12-24-0122'
  • Construction site plan for project from page 8 of the file '2024-10-09 - Urban Design Brief - D07-12-24-0122'
  • Construction site plan for project from page 7 of the file '2024-10-09 - Urban Design Brief - D07-12-24-0122'
  • Construction site plan for project from page 32 of the file '2025-07-02 - Design Brief - D07-12-24-0122'
  • Construction site plan for project from page 29 of the file '2024-10-09 - Design Brief - D07-12-24-0122'
  • Construction site plan for project from page 117 of the file '2024-10-09 - Design Brief - D07-12-24-0122'
  • Construction site plan for project from page 8 of the file '2024-10-09 - Urban Design Brief - D07-12-24-0122'
  • Construction site plan for project from page 45 of the file '2024-10-09 - Design Brief - D07-12-24-0122'
  • Construction site plan for project from page 134 of the file '2024-10-09 - Design Brief - D07-12-24-0122'
  • Construction site plan for project from page 135 of the file '2024-10-09 - Design Brief - D07-12-24-0122'
  • Construction site plan for project from page 120 of the file '2025-07-02 - Design Brief - D07-12-24-0122'
  • Construction site plan for project from page 108 of the file '2024-10-09 - Design Brief - D07-12-24-0122'
  • Construction site plan for project from page 45 of the file '2024-10-09 - Design Brief - D07-12-24-0122'
  • Construction site plan for project from page 5 of the file '2024-10-09 - Urban Design Brief - D07-12-24-0122'
  • Construction site plan for project from page 57 of the file '2024-10-09 - Design Brief - D07-12-24-0122'
  • Construction site plan for project from page 1 of the file '2024-12-18 - Building Elevations and Floor Plans (Building B) - D07-12-24-0122'
  • Construction site plan for project from page 1 of the file '2024-12-18 - Building Elevations and Floor Plans (Building A) -D07-12-24-0122'
  • Construction site plan for project from page 77 of the file '2024-10-09 - Design Brief - D07-12-24-0122'
  • Construction site plan for project from page 4 of the file '2024-10-09 - Urban Design Brief - D07-12-24-0122'
  • Construction site plan for project from page 30 of the file '2024-10-09 - Design Brief - D07-12-24-0122'
  • Image from page 123 of the file '2024-10-09 - Design Brief - D07-12-24-0122'
  • Image from page 2 of the file '2024-12-18 - Building Elevations and Floor Plans (Building B) - D07-12-24-0122'
  • Image from page 125 of the file '2024-10-09 - Design Brief - D07-12-24-0122'
  • Image from page 125 of the file '2024-10-09 - Design Brief - D07-12-24-0122'
  • Construction site plan for project from page 31 of the file '2025-07-02 - Design Brief - D07-12-24-0122'
  • Construction site plan for project from page 28 of the file '2024-10-09 - Design Brief - D07-12-24-0122'
  • Construction site plan for project from page 10 of the file '2024-10-09 - Urban Design Brief - D07-12-24-0122'
  • Construction site plan for project from page 8 of the file '2024-10-09 - Urban Design Brief - D07-12-24-0122'
  • Construction site plan for project from page 7 of the file '2024-10-09 - Urban Design Brief - D07-12-24-0122'
  • Construction site plan for project from page 32 of the file '2025-07-02 - Design Brief - D07-12-24-0122'
  • Construction site plan for project from page 29 of the file '2024-10-09 - Design Brief - D07-12-24-0122'
  • Construction site plan for project from page 117 of the file '2024-10-09 - Design Brief - D07-12-24-0122'
  • Construction site plan for project from page 8 of the file '2024-10-09 - Urban Design Brief - D07-12-24-0122'
  • Construction site plan for project from page 45 of the file '2024-10-09 - Design Brief - D07-12-24-0122'
  • Construction site plan for project from page 134 of the file '2024-10-09 - Design Brief - D07-12-24-0122'
  • Construction site plan for project from page 135 of the file '2024-10-09 - Design Brief - D07-12-24-0122'
  • Construction site plan for project from page 120 of the file '2025-07-02 - Design Brief - D07-12-24-0122'
  • Construction site plan for project from page 108 of the file '2024-10-09 - Design Brief - D07-12-24-0122'
  • Construction site plan for project from page 45 of the file '2024-10-09 - Design Brief - D07-12-24-0122'
  • Construction site plan for project from page 5 of the file '2024-10-09 - Urban Design Brief - D07-12-24-0122'
  • Construction site plan for project from page 57 of the file '2024-10-09 - Design Brief - D07-12-24-0122'
  • Construction site plan for project from page 1 of the file '2024-12-18 - Building Elevations and Floor Plans (Building B) - D07-12-24-0122'
  • Construction site plan for project from page 1 of the file '2024-12-18 - Building Elevations and Floor Plans (Building A) -D07-12-24-0122'
  • Construction site plan for project from page 77 of the file '2024-10-09 - Design Brief - D07-12-24-0122'
  • Construction site plan for project from page 4 of the file '2024-10-09 - Urban Design Brief - D07-12-24-0122'
  • Construction site plan for project from page 30 of the file '2024-10-09 - Design Brief - D07-12-24-0122'

Documents #

TypeDocument
Application Summary2025-01-17 - Application Summary - D07-12-24-0122
Archaelogical Assessment2024-10-09 - Stage 1 & 2 Archaeological Assessment - D07-12-24-0122
Archaelogical Assessment2025-03-04 - Stage 1 and 2 Archaeological Assessment - D07-12-24-0122
Architectural Plans2024-12-18 - Site Plan - D07-12-24-0122
Architectural Plans2024-12-18 - Building Elevations (Buildings C & D) - D07-12-24-0122
Architectural Plans2024-10-09 - Construction Management Plan - D07-12-24-0122
Architectural Plans2025-07-02 - Site Plan - D07-12-24-0122
Architectural Plans2025-07-02 - Plan 4R36872 - D07-12-24-0122
Civil Engineering Report2024-10-09 - Civil Drawings - D07-12-24-0122
Civil Engineering Report2025-07-02 - Civil Drawings - D07-12-24-0122 (2)
Civil Engineering Report2025-07-02 - Civil Drawings - D07-12-24-0122
Design Brief2024-10-09 - Urban Design Brief - D07-12-24-0122
Design Brief2024-10-09 - Design Brief - D07-12-24-0122
Design Brief2025-07-02 - Design Brief - D07-12-24-0122
Electrical Plan2024-10-29 - Site Lighting Plan - D07-12-24-0122
Environmental2024-12-18 - Environmental Impact Study - D07-12-24-0122
Environmental2024-10-09 - Phase I ESA - D07-12-24-0122
Floor Plan2024-12-18 - Building Elevations and Floor Plans (Building B) - D07-12-24-0122
Floor Plan2024-12-18 - Building Elevations and Floor Plans (Building A) -D07-12-24-0122
Floor Plan2025-07-02 - Elelvations Floor Plans - D07-12-24-0122
Geotechnical Report2024-10-09 - Geotechnical Investigation - D07-12-24-0122
Geotechnical Report2025-07-02 - Grading Plan Review Memo - D07-12-24-0122
Geotechnical Report2025-07-02 - Geotechnical Investigation - D07-12-24-0122
Landscape Plan2024-12-18 - Landscape Plans, Drawing L-1 -D07-12-24-0122
Landscape Plan2024-12-18 - Landscape Details, Drawing L-2 - D07-12-24-0122
Landscape Plan2025-07-04 - Landscape Plan - D07-12-24-0122
Noise Study2024-12-18 - Stationary Noise Assessment - D07-12-24-0122
Planning2024-10-09 - Zoning Confirmation Report - D07-12-24-0122
Planning2025-07-02 - Zoning Confirmation Report - D07-12-24-0122
Site Servicing2024-10-09 - Servicing Study - D07-12-24-0122
Site Servicing2025-07-02 - Servicing Design Brief - D07-12-24-0122
Surveying2024-10-09 - Topo Plan of Survey - D07-12-24-0122
Transportation Analysis2024-12-18 - Transportation Impact Assessment - D07-12-24-0122
Transportation Analysis2025-07-02 - Transportation Impact Assessment - D07-12-24-0122
Tree Information and Conservation2024-12-18 - Tree Conservation Report -D07-12-24-0122
2025-01-08 - ZCR - D07-12-24-0122
2024-10-09 - Landslide Hazard Assessment - D07-12-24-0122
2025-07-02 - Phase 1 - Environmental Site Assessment - D07-12-24-0122

Additional Information #

All Addresses1015 Dairy Dr.
1045 Dairy Dr.