3030 St-Joseph, Boul (D07-12-23-0090)

3030 St-Joseph, Boul (D07-12-23-0090) #

Summary #

Application StatusPost Approval
Review StatusReceipt of Agreement from Owner Pending
DescriptionThe City of Ottawa has received an Official Plan Amendment, Zoning By-law Amendment, and Site Plan Control application to construct an 18-storey mixed-use residential building, comprising 202 residential units with 260 m2 of commercial gross floor area at-grade. A total of 163 parking spaces are proposed below grade.
WardWard 1 - Matthew Luloff
Date Initiated2023-06-16
Last Updated2025-09-08

Renders #

  • Rendering of building from page 1 of the file '2024-03-19 - Urban Design Review Panel Slide Deck -D07-12-23-0090'
  • Rendering of building from page 31 of the file '2024-03-19 - Urban Design Review Panel Slide Deck -D07-12-23-0090'
  • Rendering of building from page 9 of the file '2023-06-15 - Context, Site, Floor, Elevation, Sections, 3D Views, Sunshade, Plans - D07-12-23-009'
  • Rendering of building from page 10 of the file '2023-06-15 - Context, Site, Floor, Elevation, Sections, 3D Views, Sunshade, Plans - D07-12-23-009'
  • Rendering of building from page 15 of the file '2024-03-19 - Urban Design Review Panel Slide Deck -D07-12-23-0090'
  • Rendering of building from page 8 of the file '2023-06-15 - Context, Site, Floor, Elevation, Sections, 3D Views, Sunshade, Plans - D07-12-23-009'
  • Rendering of building from page 24 of the file '2024-03-19 - Urban Design Review Panel Slide Deck -D07-12-23-0090'
  • Rendering of building from page 21 of the file '2024-03-19 - Urban Design Review Panel Slide Deck -D07-12-23-0090'
  • Rendering of building from page 6 of the file '2023-06-15 - Context, Site, Floor, Elevation, Sections, 3D Views, Sunshade, Plans - D07-12-23-009'
  • Rendering of building from page 25 of the file '2024-03-19 - Urban Design Review Panel Slide Deck -D07-12-23-0090'
  • Rendering of building from page 23 of the file '2024-03-19 - Urban Design Review Panel Slide Deck -D07-12-23-0090'
  • Rendering of building from page 11 of the file '2023-06-15 - Context, Site, Floor, Elevation, Sections, 3D Views, Sunshade, Plans - D07-12-23-009'
  • Rendering of building from page 10 of the file '2023-06-15 - Context, Site, Floor, Elevation, Sections, 3D Views, Sunshade, Plans - D07-12-23-009'
  • Rendering of building from page 6 of the file '2023-06-15 - Context, Site, Floor, Elevation, Sections, 3D Views, Sunshade, Plans - D07-12-23-009'
  • Rendering of building from page 26 of the file '2024-03-19 - Urban Design Review Panel Slide Deck -D07-12-23-0090'
  • Rendering of building from page 8 of the file '2023-06-15 - Context, Site, Floor, Elevation, Sections, 3D Views, Sunshade, Plans - D07-12-23-009'
  • Rendering of building from page 9 of the file '2023-06-15 - Context, Site, Floor, Elevation, Sections, 3D Views, Sunshade, Plans - D07-12-23-009'
  • Rendering of building from page 11 of the file '2023-06-15 - Context, Site, Floor, Elevation, Sections, 3D Views, Sunshade, Plans - D07-12-23-009'
  • Rendering of building from page 1 of the file '2024-03-19 - Urban Design Review Panel Slide Deck -D07-12-23-0090'
  • Rendering of building from page 31 of the file '2024-03-19 - Urban Design Review Panel Slide Deck -D07-12-23-0090'
  • Rendering of building from page 9 of the file '2023-06-15 - Context, Site, Floor, Elevation, Sections, 3D Views, Sunshade, Plans - D07-12-23-009'
  • Rendering of building from page 10 of the file '2023-06-15 - Context, Site, Floor, Elevation, Sections, 3D Views, Sunshade, Plans - D07-12-23-009'
  • Rendering of building from page 15 of the file '2024-03-19 - Urban Design Review Panel Slide Deck -D07-12-23-0090'
  • Rendering of building from page 8 of the file '2023-06-15 - Context, Site, Floor, Elevation, Sections, 3D Views, Sunshade, Plans - D07-12-23-009'
  • Rendering of building from page 24 of the file '2024-03-19 - Urban Design Review Panel Slide Deck -D07-12-23-0090'
  • Rendering of building from page 21 of the file '2024-03-19 - Urban Design Review Panel Slide Deck -D07-12-23-0090'
  • Rendering of building from page 6 of the file '2023-06-15 - Context, Site, Floor, Elevation, Sections, 3D Views, Sunshade, Plans - D07-12-23-009'
  • Rendering of building from page 25 of the file '2024-03-19 - Urban Design Review Panel Slide Deck -D07-12-23-0090'
  • Rendering of building from page 23 of the file '2024-03-19 - Urban Design Review Panel Slide Deck -D07-12-23-0090'
  • Rendering of building from page 11 of the file '2023-06-15 - Context, Site, Floor, Elevation, Sections, 3D Views, Sunshade, Plans - D07-12-23-009'
  • Rendering of building from page 10 of the file '2023-06-15 - Context, Site, Floor, Elevation, Sections, 3D Views, Sunshade, Plans - D07-12-23-009'
  • Rendering of building from page 6 of the file '2023-06-15 - Context, Site, Floor, Elevation, Sections, 3D Views, Sunshade, Plans - D07-12-23-009'
  • Rendering of building from page 26 of the file '2024-03-19 - Urban Design Review Panel Slide Deck -D07-12-23-0090'
  • Rendering of building from page 8 of the file '2023-06-15 - Context, Site, Floor, Elevation, Sections, 3D Views, Sunshade, Plans - D07-12-23-009'
  • Rendering of building from page 9 of the file '2023-06-15 - Context, Site, Floor, Elevation, Sections, 3D Views, Sunshade, Plans - D07-12-23-009'
  • Rendering of building from page 11 of the file '2023-06-15 - Context, Site, Floor, Elevation, Sections, 3D Views, Sunshade, Plans - D07-12-23-009'

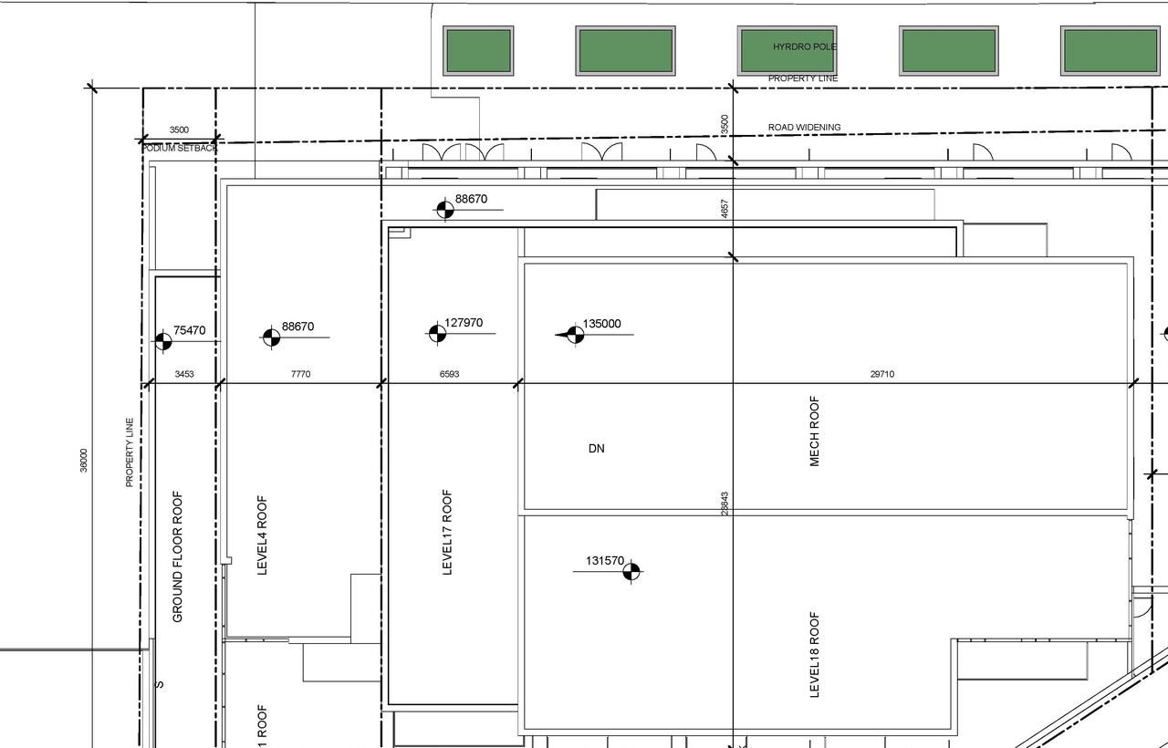
Site and Floor Plans #

  • Construction site plan for project from page 2 of the file '2024-03-19 - Urban Design Review Panel Slide Deck -D07-12-23-0090'
  • Construction site plan for project from page 4 of the file '2024-03-19 - Urban Design Review Panel Slide Deck -D07-12-23-0090'
  • Construction site plan for project from page 5 of the file '2024-03-19 - Urban Design Review Panel Slide Deck -D07-12-23-0090'
  • Construction site plan for project from page 6 of the file '2024-03-19 - Urban Design Review Panel Slide Deck -D07-12-23-0090'
  • Construction site plan for project from page 7 of the file '2024-03-19 - Urban Design Review Panel Slide Deck -D07-12-23-0090'
  • Construction site plan for project from page 9 of the file '2024-03-19 - Urban Design Review Panel Slide Deck -D07-12-23-0090'
  • Construction site plan for project from page 9 of the file '2024-03-19 - Urban Design Review Panel Slide Deck -D07-12-23-0090'
  • Construction site plan for project from page 10 of the file '2024-03-19 - Urban Design Review Panel Slide Deck -D07-12-23-0090'
  • Construction site plan for project from page 11 of the file '2024-03-19 - Urban Design Review Panel Slide Deck -D07-12-23-0090'
  • Construction site plan for project from page 12 of the file '2024-03-19 - Urban Design Review Panel Slide Deck -D07-12-23-0090'
  • Construction site plan for project from page 13 of the file '2024-03-19 - Urban Design Review Panel Slide Deck -D07-12-23-0090'
  • Construction site plan for project from page 16 of the file '2024-03-19 - Urban Design Review Panel Slide Deck -D07-12-23-0090'
  • Construction site plan for project from page 17 of the file '2024-03-19 - Urban Design Review Panel Slide Deck -D07-12-23-0090'
  • Construction site plan for project from page 28 of the file '2024-03-19 - Urban Design Review Panel Slide Deck -D07-12-23-0090'
  • Construction site plan for project from page 33 of the file '2024-03-19 - Urban Design Review Panel Slide Deck -D07-12-23-0090'
  • Construction site plan for project from page 34 of the file '2024-03-19 - Urban Design Review Panel Slide Deck -D07-12-23-0090'
  • Construction site plan for project from page 35 of the file '2024-03-19 - Urban Design Review Panel Slide Deck -D07-12-23-0090'
  • Construction site plan for project from page 35 of the file '2024-03-19 - Urban Design Review Panel Slide Deck -D07-12-23-0090'
  • Construction site plan for project from page 35 of the file '2024-03-19 - Urban Design Review Panel Slide Deck -D07-12-23-0090'
  • Construction site plan for project from page 35 of the file '2024-03-19 - Urban Design Review Panel Slide Deck -D07-12-23-0090'
  • Construction site plan for project from page 36 of the file '2024-03-19 - Urban Design Review Panel Slide Deck -D07-12-23-0090'
  • Construction site plan for project from page 36 of the file '2024-03-19 - Urban Design Review Panel Slide Deck -D07-12-23-0090'
  • Construction site plan for project from page 37 of the file '2024-03-19 - Urban Design Review Panel Slide Deck -D07-12-23-0090'
  • Construction site plan for project from page 38 of the file '2024-03-19 - Urban Design Review Panel Slide Deck -D07-12-23-0090'
  • Construction site plan for project from page 38 of the file '2024-03-19 - Urban Design Review Panel Slide Deck -D07-12-23-0090'
  • Construction site plan for project from page 1 of the file '2023-06-15 - Context, Site, Floor, Elevation, Sections, 3D Views, Sunshade, Plans - D07-12-23-009'
  • Construction site plan for project from page 1 of the file '2023-06-15 - Context, Site, Floor, Elevation, Sections, 3D Views, Sunshade, Plans - D07-12-23-009'
  • Construction site plan for project from page 2 of the file '2023-06-15 - Context, Site, Floor, Elevation, Sections, 3D Views, Sunshade, Plans - D07-12-23-009'
  • Construction site plan for project from page 2 of the file '2023-06-15 - Context, Site, Floor, Elevation, Sections, 3D Views, Sunshade, Plans - D07-12-23-009'
  • Construction site plan for project from page 2 of the file '2024-03-19 - Urban Design Review Panel Slide Deck -D07-12-23-0090'
  • Construction site plan for project from page 4 of the file '2024-03-19 - Urban Design Review Panel Slide Deck -D07-12-23-0090'
  • Construction site plan for project from page 5 of the file '2024-03-19 - Urban Design Review Panel Slide Deck -D07-12-23-0090'
  • Construction site plan for project from page 6 of the file '2024-03-19 - Urban Design Review Panel Slide Deck -D07-12-23-0090'
  • Construction site plan for project from page 7 of the file '2024-03-19 - Urban Design Review Panel Slide Deck -D07-12-23-0090'
  • Construction site plan for project from page 9 of the file '2024-03-19 - Urban Design Review Panel Slide Deck -D07-12-23-0090'
  • Construction site plan for project from page 9 of the file '2024-03-19 - Urban Design Review Panel Slide Deck -D07-12-23-0090'
  • Construction site plan for project from page 10 of the file '2024-03-19 - Urban Design Review Panel Slide Deck -D07-12-23-0090'
  • Construction site plan for project from page 11 of the file '2024-03-19 - Urban Design Review Panel Slide Deck -D07-12-23-0090'
  • Construction site plan for project from page 12 of the file '2024-03-19 - Urban Design Review Panel Slide Deck -D07-12-23-0090'
  • Construction site plan for project from page 13 of the file '2024-03-19 - Urban Design Review Panel Slide Deck -D07-12-23-0090'
  • Construction site plan for project from page 16 of the file '2024-03-19 - Urban Design Review Panel Slide Deck -D07-12-23-0090'
  • Construction site plan for project from page 17 of the file '2024-03-19 - Urban Design Review Panel Slide Deck -D07-12-23-0090'
  • Construction site plan for project from page 28 of the file '2024-03-19 - Urban Design Review Panel Slide Deck -D07-12-23-0090'
  • Construction site plan for project from page 33 of the file '2024-03-19 - Urban Design Review Panel Slide Deck -D07-12-23-0090'
  • Construction site plan for project from page 34 of the file '2024-03-19 - Urban Design Review Panel Slide Deck -D07-12-23-0090'
  • Construction site plan for project from page 35 of the file '2024-03-19 - Urban Design Review Panel Slide Deck -D07-12-23-0090'
  • Construction site plan for project from page 35 of the file '2024-03-19 - Urban Design Review Panel Slide Deck -D07-12-23-0090'
  • Construction site plan for project from page 35 of the file '2024-03-19 - Urban Design Review Panel Slide Deck -D07-12-23-0090'
  • Construction site plan for project from page 35 of the file '2024-03-19 - Urban Design Review Panel Slide Deck -D07-12-23-0090'
  • Construction site plan for project from page 36 of the file '2024-03-19 - Urban Design Review Panel Slide Deck -D07-12-23-0090'
  • Construction site plan for project from page 36 of the file '2024-03-19 - Urban Design Review Panel Slide Deck -D07-12-23-0090'
  • Construction site plan for project from page 37 of the file '2024-03-19 - Urban Design Review Panel Slide Deck -D07-12-23-0090'
  • Construction site plan for project from page 38 of the file '2024-03-19 - Urban Design Review Panel Slide Deck -D07-12-23-0090'
  • Construction site plan for project from page 38 of the file '2024-03-19 - Urban Design Review Panel Slide Deck -D07-12-23-0090'
  • Construction site plan for project from page 1 of the file '2023-06-15 - Context, Site, Floor, Elevation, Sections, 3D Views, Sunshade, Plans - D07-12-23-009'
  • Construction site plan for project from page 1 of the file '2023-06-15 - Context, Site, Floor, Elevation, Sections, 3D Views, Sunshade, Plans - D07-12-23-009'
  • Construction site plan for project from page 2 of the file '2023-06-15 - Context, Site, Floor, Elevation, Sections, 3D Views, Sunshade, Plans - D07-12-23-009'
  • Construction site plan for project from page 2 of the file '2023-06-15 - Context, Site, Floor, Elevation, Sections, 3D Views, Sunshade, Plans - D07-12-23-009'

Documents #

TypeDocument
Application Summary2023-07-18 - Application Summary - D07-12-23-0090
Architectural Plans2024-08-01 - Plan & Profile STA 2+000 to 2+040 - D07-12-23-0090
Architectural Plans2024-08-01 - Plan & Profile STA 1+000 to 1+063 - D07-12-23-0090
Architectural Plans2024-08-01 - Architectural Plans - D07-12-23-0090
Architectural Plans2024-03-19 - Plan and Profile - D07-12-23-0090
Architectural Plans2024-03-19 - Plan and Profile - (2) - D07-12-23-0090
Architectural Plans2024-03-19 - Architecture Plans - D07-12-23-0090
Architectural Plans2024-03-19 - Appendix Landscape Plan - D07-12-23-0090
Architectural Plans2023-06-15 - Site Plan -D07-12-23-0090
Architectural Plans2024-09-12 - Site Plan - D07-12-23-0090
Architectural Plans2024-09-12 - Plan & Profile STA 3+000 to 3+020 - D07-12-23-0090
Architectural Plans2024-09-12 - Plan & Profile STA 2+000 to 2+040 - D07-12-23-0090
Architectural Plans2024-09-12 - Plan & Profile STA 1+000 to 1+073 - D07-12-23-0090
Architectural Plans2024-09-12 - Site Plan signed - D07-12-23-0090
Architectural Plans2024-09-12 - Plan & Profile STA 3+000 to 3+020 signed - D07-12-23-0090
Architectural Plans2024-09-12 - Plan & Profile STA 2+000 to 2+040 signed - D07-12-23-0090
Architectural Plans2024-09-12 - Plan & Profile Sta 1+000 to 1+073 signed - D07-12-23-0090
Architectural Plans2024-08-01 - Site Plan Sheet 2 - D07-12-23-0090
Architectural Plans2024-08-01 - Elevation signed - D07-12-23-0090
Architectural Plans2025-05-21 - site grading and erosion plan - D07-12-23-0090
Architectural Plans2025-05-21 - Plan and profile 3 - D07-12-23-0090
Architectural Plans2025-05-21 - Plan and profile 2 - D07-12-23-0090
Architectural Plans2025-05-21 - PLan and profile - D07-12-23-0090
Civil Engineering Report2024-03-19 - Civil Plans - D07-12-23-0090
Design Brief2024-03-19 - Urban Design Review Panel Report - D07-12-23-0090
Design Brief2024-03-19 - Urban Design Review Panel Slide Deck -D07-12-23-0090
Electrical Plan2024-03-19 - ELECTRICAL SITE PLAN - D07-12-23-0090
Environmental2023-06-15 - Phase I Environmental Site Assessment - D07-12-23-0090
Geotechnical Report2024-08-01 - Grading, Drainage and Erosion & Sediment Control Plan - D07-12-23-0090
Geotechnical Report2023-06-15 - GRADING, DRAINAGE AND EROSION & SEDIMENT CONTROL PLAN -D07-12-23-0090(2)
Geotechnical Report2023-06-15 - GRADING, DRAINAGE AND EROSION & SEDIMENT CONTROL PLAN - D07-12-23-0090
Geotechnical Report2023-06-15 - Geotechnical Investigation - D07-12-23-0090
Geotechnical Report2024-09-12 - Grading, Drainage and Erosion & Sediment Control Plan - D07-12-23-0090
Geotechnical Report2024-09-12 - Grading, Drainage and Erosion & Sediment Control Plan signed - D07-12-23-0090
Noise Study2023-06-15 - Roadway Traffic Noise - D07-12-23-0090
Planning2024-03-19 - Planning Rationale - D07-12-23-0090
Planning2023-06-15 - Planning Rationale and Design Brief -D07-12-23-0090
Rendering2023-06-15 - Context, Site, Floor, Elevation, Sections, 3D Views, Sunshade, Plans - D07-12-23-009
Site Servicing2024-08-01 - Site Servicing Plan - D07-12-23-0090
Site Servicing2024-08-01 - Servicing & SWM Report - D07-12-23-0090
Site Servicing2024-03-19 - Site Servicing Plan -D07-12-23-0090
Site Servicing2024-03-19 - SERVICING AND STORMWATER MANAGEMENT REPORT - D07-12-23-0090
Site Servicing2023-06-15 - SERVICING & STORMWATER MANAGEMENT REPORT - D07-12-23-0090
Site Servicing2024-09-12 - Site Servicing Plan - D07-12-23-0090
Site Servicing2024-09-12 - Servicing & SWM Report - D07-12-23-0090
Site Servicing2024-09-12 - Site Servicing Plan signed - D07-12-23-0090
Site Servicing2025-05-21 - Site servicing Plan - D07-12-23-0090
Surveying2023-06-15 - Topographical Plan - D07-12-23-0090
Transportation Analysis2024-03-19 - Transportation Impact Assessment - D07-12-23-0090
Transportation Analysis2023-06-15 - Transportation Impact Assessment - D07-12-23-0090
Tree Information and Conservation2024-08-01 - TCR & Landscape Plan - D07-12-23-0090
Tree Information and Conservation2024-03-19 - Tree Conservation Report and Landscape Plan - D07-12-23-0090
Tree Information and Conservation2023-06-15 - Tree Conservation Report and Landscape Plan - D07-12-23-0090
Tree Information and Conservation2024-09-12 - TCR & Landscape Plan - D07-12-23-0090
Tree Information and Conservation2024-09-12 - TCR & Landscape Plan signed - D07-12-23-0090
Wind Study2023-06-15 - Pedestrian Level Wind Study - D07-12-23-0090
2024-03-19 - Landslide Hazard Assessment - D07-12-23-0090
2024-03-19 - Hydro Wire Section - D07-12-23-0090
2023-06-15 - SETBACK Schedule -D07-12-23-0090
2025-01-09 - Delegated Authority Report signed - D07-12-23-0090
2024-08-01 - Sections - D07-12-24-0090
2025-05-21 - Water data - D07-12-23-0090