424 Churchill (D07-12-22-0152)

424 Churchill (D07-12-22-0152) #

Summary #

Application StatusFile Pending
Review StatusApplication File Pending
DescriptionThe City of Ottawa has received an Official Plan Amendment, Zoning By-law Amendment and Site Plan Control application to permit the demolition of a two-storey commercial building and the redevelopment of the site into an 8-storey residential apartment building containing 58 dwelling units, with three basement levels.
WardWard 15 - Jeff Leiper
Date Initiated2022-10-25
Last Updated2024-11-28

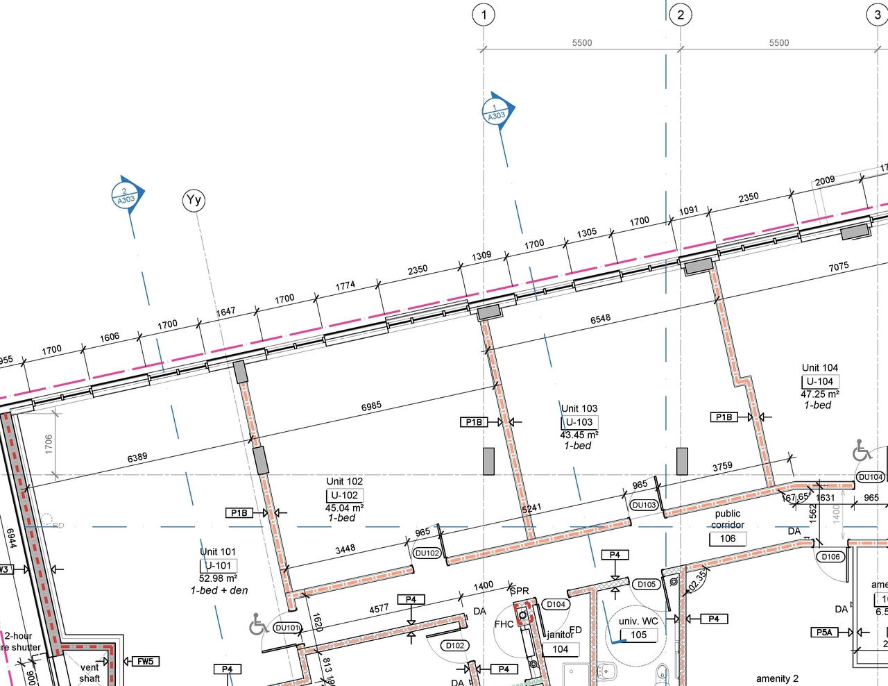
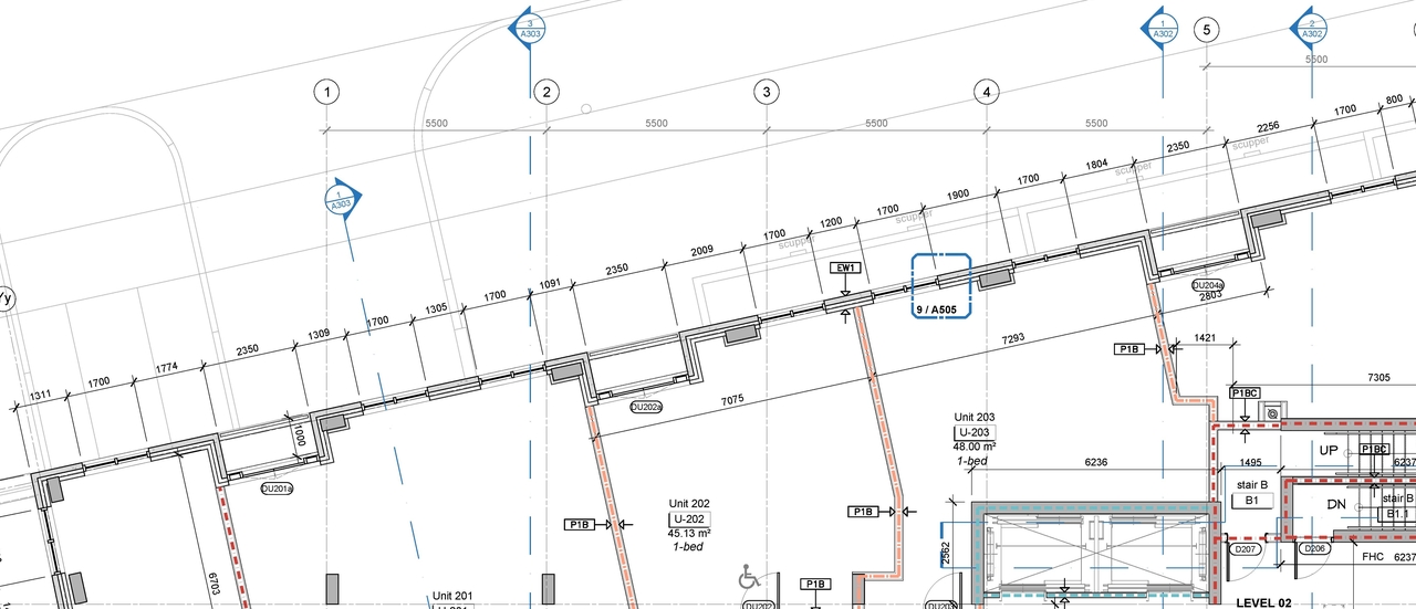
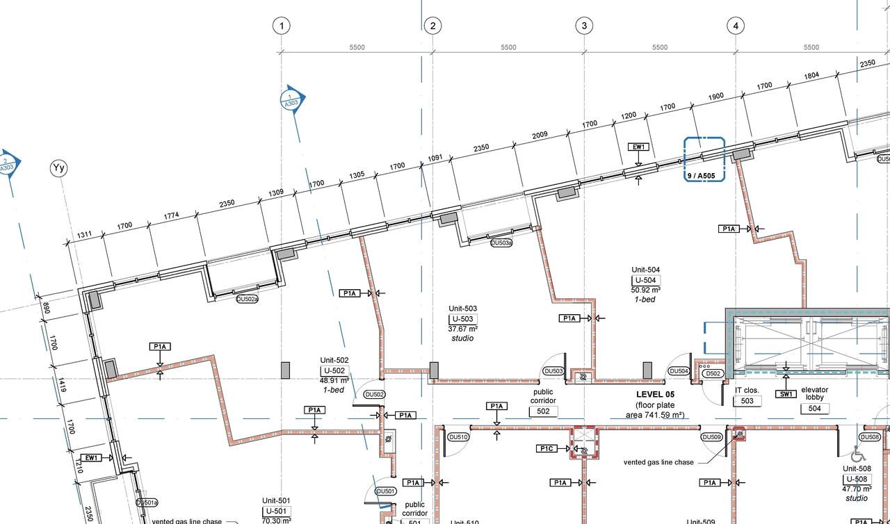
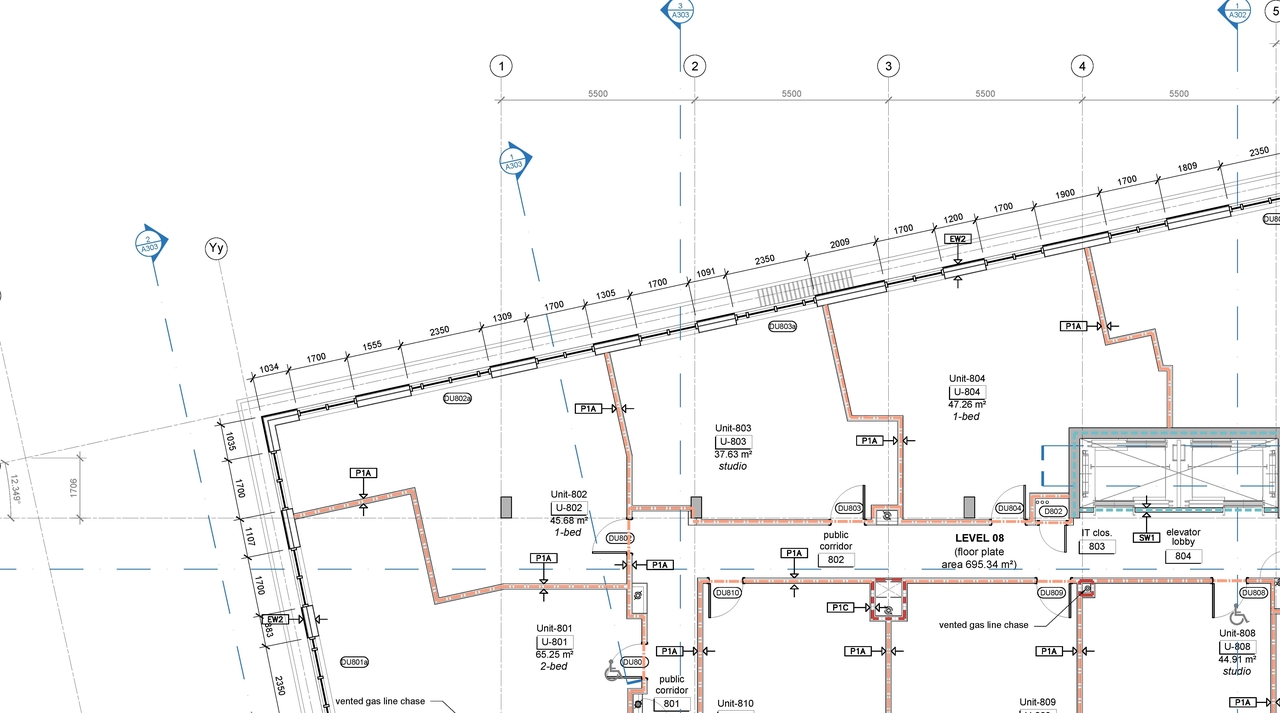
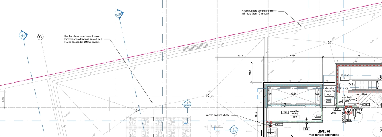
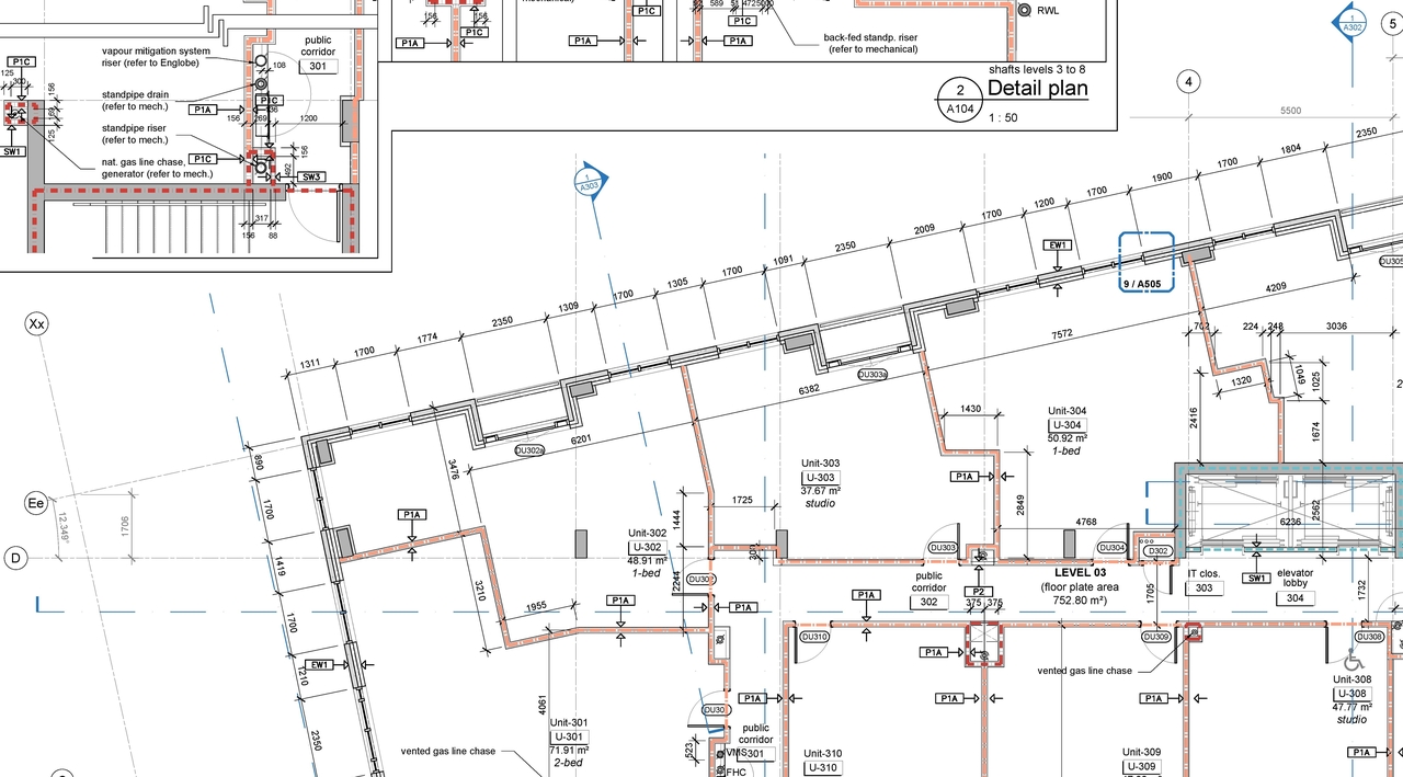
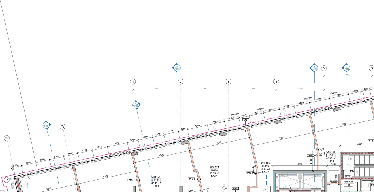
Site and Floor Plans #

  • Construction site plan for project from page 2 of the file '2025-07-14 - Floor Plan L2 - D07-12-22-0152'
  • Construction site plan for project from page 3 of the file '2025-07-14 - Floor Plan L2 - D07-12-22-0152'
  • Construction site plan for project from page 4 of the file '2025-07-14 - Floor Plan L2 - D07-12-22-0152'
  • Construction site plan for project from page 9 of the file '2025-07-14 - Floor Plan L2 - D07-12-22-0152'
  • Construction site plan for project from page 4 of the file '2025-09-25 - Floor Plan - D07-12-22-0152'
  • Construction site plan for project from page 2 of the file '2025-07-14 - Floor Plan L2 - D07-12-22-0152'
  • Construction site plan for project from page 3 of the file '2025-07-14 - Floor Plan L2 - D07-12-22-0152'
  • Construction site plan for project from page 4 of the file '2025-07-14 - Floor Plan L2 - D07-12-22-0152'
  • Construction site plan for project from page 9 of the file '2025-07-14 - Floor Plan L2 - D07-12-22-0152'
  • Construction site plan for project from page 4 of the file '2025-09-25 - Floor Plan - D07-12-22-0152'

Files #

TypeNameLinks
Adequacy Of Public Services2022-10-25 - Assessment of Adequacy of Public Serviceability Report -D07-12-22-0152Download PDF
Application Summary2022-12-06 - Application Summary - D07-12-22-0152Download PDF
Architectural Plans2024-05-06 - Site Grading and Servicing Plan Review - D07-12-22-0152Download PDF
Architectural Plans2024-05-06 - Architectural Plans - D07-12-22-0152Download PDF
Architectural Plans2022-10-25 - Plans - Fullset -D07-12-22-0152Download PDF
Architectural Plans2022-10-25 - Architectural Package -D07-12-22-0152Download PDF
Architectural Plans2024-08-20 - Elevations - D07-12-22-0152Download PDF
Architectural Plans2024-08-20 - Architecture Plans - D07-12-22-0152Download PDF
Architectural Plans2024-11-04 - Architectural Plans - D07-12-22-0152Download PDF
Architectural Plans2025-07-04 - Site Plans - D07-12-22-0152Download PDF
Architectural Plans2025-07-04 - ARCH Elevations - D07-12-22-0152Download PDF
Architectural Plans2025-07-14 - Site Plan - D07-12-22-0152Download PDF
Architectural Plans2025-07-14 - North & South Elevations - D07-12-22-0152Download PDF
Architectural Plans2025-08-15 - Site Plans - D07-12-22-0152Download PDF
Architectural Plans2025-08-15 - Risk Management Plan - D07-12-22-0152Download PDF
Architectural Plans2025-08-15 - Dewatering Pumping Plan - D07-12-22-0152Download PDF
Architectural Plans2025-08-15 - Architecture Package - D07-12-22-0152Download PDF
Architectural Plans2025-09-25 - Site Plan - D07-12-22-0152Download PDF
Architectural Plans2025-09-25 - Elevations - D07-12-22-0152Download PDF
Civil Engineering Report2024-05-06 - Civil Plans - D07-12-22-0152Download PDF
Civil Engineering Report2024-08-20 - Civil Plans - D07-12-22-0152Download PDF
Civil Engineering Report2024-11-04 - Civil Drawings - D07-12-22-0152Download PDF
Civil Engineering Report2025-07-04 - Civil Plans - D07-12-22-0152Download PDF
Environmental2024-05-06 - Phase II ESA - D07-12-22-0152Download PDF
Environmental2022-11-25 - Phase II Environmental Site Assessment - D07-12-22-0152Download PDF
Environmental2022-11-25 - Phase I Environmental Site Assessment - D07-12-22-0152Download PDF
Environmental2024-08-20 - Phase Two Environmental Site Assessment - D07-12-22-0152Download PDF
Environmental2025-08-20 - Environmental Remedial Action Plan - D07-12-22-0152Download PDF
Floor Plan2025-07-14 - Floor Plan L2 - D07-12-22-0152Download PDF
Floor Plan2025-09-25 - Floor Plan - D07-12-22-0152Download PDF
Geotechnical Report2024-05-17 - Hydrogeological Assessment Report -D07-12-22-0152Download PDF
Geotechnical Report2024-05-06 - Geotechnical Report - D07-12-22-0152Download PDF
Geotechnical Report2022-10-25 - Geotechnical Report -D07-12-22-0152Download PDF
Geotechnical Report2024-08-20 - Hydrogeological Assessment Report - D07-12-22-0152Download PDF
Geotechnical Report2025-08-15 - Geotechnical Investigation - D07-12-22-0152Download PDF
Landscape Plan2024-05-06 - Landscape Plan - D07-12-22-0152Download PDF
Landscape Plan2022-10-25 - Landscape drawings - D07-12-22-0152Download PDF
Landscape Plan2024-08-20 - Landscape Plan - D07-12-22-0152Download PDF
Landscape Plan2024-11-04 - Landscape Plans - D07-12-22-0152Download PDF
Landscape Plan2025-07-04 - Landscape Plans - D07-12-22-0152Download PDF
Landscape Plan2025-08-15 - Landscape Plan & Details - D07-12-22-0152Download PDF
Noise Study2022-10-25 - Traffic Noise - D07-12-22-0152Download PDF
Planning2022-10-25 - Planning Rationale and Design Brief -D07-12-22-0152Download PDF
Planning2024-08-20 - Planning Rationale Addendum 2 - D07-12-22-0152Download PDF
Shadow Study2024-08-20 - Shadow Analysis - D07-12-22-0152Download PDF
Stormwater Management2024-05-06 - Stormwater Management Report - D07-12-22-0152Download PDF
Stormwater Management2022-10-25 - Stormwater Management Report- D07-12-22-0152Download PDF
Stormwater Management2024-08-20 - SWM Report - D07-12-22-0152Download PDF
Stormwater Management2024-11-04 - Stormwater Management Report and Design Brief - D07-12-22-0152Download PDF
Stormwater Management2025-07-04 - SWM Report and Servicing Brief - D07-12-22-0152Download PDF
Surveying2022-10-25 - Topographical Survey -D07-12-22-0152Download PDF
Transportation Analysis2024-05-06 - TIA Addendum - D07-12-22-0152Download PDF
Transportation Analysis2022-12-06 - Transportation Impact Assessment Strategy Report - D07-12-22-0152Download PDF
Tree Information and Conservation2022-10-25 - Tree Conservation Report - D07-12-22-0152Download PDF
Tree Information and Conservation2024-08-20 - Tree Conservation Report - D07-12-22-0152Download PDF
Tree Information and Conservation2024-08-20 - Tree Conservation Plan - D07-12-22-0152Download PDF
Tree Information and Conservation2025-08-15 - Tree Preservation Plans - D07-12-22-0152Download PDF
Tree Information and Conservation2025-08-15 - Tree Conservation Report - D07-12-22-0152Download PDF
Tree Information and Conservation2025-09-25 - Tree Preservation Plan - D07-12-22-0152Download PDF
Wind Study2022-10-25 - Wind Study - D07-12-22-0152Download PDF
2022-10-25 - Screening and Scoping Report -D07-12-22-0152Download PDF
2024-08-20 - Details of Zoning and OPA - D07-12-22-0152Download PDF
2024-11-04 - Planter Letter - D07-12-22-0152Download PDF
2025-08-15 - Recommendations & Vibration Estimates for Urban Blasting App - D07-12-22-0152Download PDF
2025-08-15 - Planter Letter - D07-12-22-0152Download PDF
2025-08-15 - Phase Two Conceptual Site Model - D07-12-22-0152Download PDF
2025-08-15 - Off-Site Management Agreement (OSMA) Letter - D07-12-22-0152Download PDF
2025-08-15 - Memo Watertight Underground Structure - D07-12-22-0152Download PDF