2940-2946 Baseline Rd. (D02-02-23-0046)

2940-2946 Baseline Rd. (D02-02-23-0046) #

Summary #

Application StatusFile Pending
Review StatusApplication File Pending
DescriptionTwo high-rise buildings connected by a low-rise podium along Sandcastle Drive and one mid-rise building at the south end of the site.
WardWard 8 - Laine Johnson
Date Initiated2023-06-07
Last Updated2025-11-14

Renders #

  • Rendering of building from page 55 of the file '2023-06-12 - Urban Design Brief - D02-02-23-0046'
  • Rendering of building from page 31 of the file '2024-08-30 - Design Brief - D02-02-23-0046'
  • Rendering of building from page 57 of the file '2024-08-30 - Design Brief - D02-02-23-0046'
  • Rendering of building from page 58 of the file '2023-06-12 - Urban Design Brief - D02-02-23-0046'
  • Rendering of building from page 20 of the file '2023-06-12 - Urban Design Brief - D02-02-23-0046'
  • Rendering of building from page 57 of the file '2025-10-03 - Design Brief - D02-02-23-0046'
  • Rendering of building from page 21 of the file '2024-08-30 - Design Brief - D02-02-23-0046'
  • Rendering of building from page 59 of the file '2023-06-12 - Urban Design Brief - D02-02-23-0046'
  • Rendering of building from page 60 of the file '2025-10-03 - Design Brief - D02-02-23-0046'
  • Rendering of building from page 22 of the file '2025-10-03 - Design Brief - D02-02-23-0046'
  • Rendering of building from page 16 of the file '2023-06-12 - Urban Design Brief - D02-02-23-0046'
  • Rendering of building from page 4 of the file '2023-06-12 - Urban Design Brief - D02-02-23-0046'
  • Rendering of building from page 60 of the file '2023-06-12 - Urban Design Brief - D02-02-23-0046'
  • Rendering of building from page 61 of the file '2023-06-12 - Urban Design Brief - D02-02-23-0046'
  • Rendering of building from page 25 of the file '2023-06-12 - Urban Design Brief - D02-02-23-0046'
  • Rendering of building from page 61 of the file '2024-08-30 - Design Brief - D02-02-23-0046'
  • Rendering of building from page 57 of the file '2023-06-12 - Urban Design Brief - D02-02-23-0046'
  • Rendering of building from page 60 of the file '2024-08-30 - Design Brief - D02-02-23-0046'
  • Rendering of building from page 61 of the file '2025-10-03 - Design Brief - D02-02-23-0046'
  • Rendering of building from page 56 of the file '2023-06-12 - Urban Design Brief - D02-02-23-0046'
  • Rendering of building from page 8 of the file '2023-06-12 - Urban Design Brief - D02-02-23-0046'
  • Rendering of building from page 32 of the file '2024-08-30 - Design Brief - D02-02-23-0046'
  • Rendering of building from page 59 of the file '2025-10-03 - Design Brief - D02-02-23-0046'
  • Rendering of building from page 24 of the file '2023-06-12 - Urban Design Brief - D02-02-23-0046'
  • Rendering of building from page 56 of the file '2023-06-12 - Urban Design Brief - D02-02-23-0046'
  • Rendering of building from page 63 of the file '2023-06-12 - Urban Design Brief - D02-02-23-0046'
  • Rendering of building from page 28 of the file '2024-08-30 - Design Brief - D02-02-23-0046'
  • Rendering of building from page 19 of the file '2023-06-12 - Urban Design Brief - D02-02-23-0046'
  • Rendering of building from page 28 of the file '2024-08-30 - Design Brief - D02-02-23-0046'
  • Rendering of building from page 28 of the file '2024-08-30 - Design Brief - D02-02-23-0046'
  • Rendering of building from page 62 of the file '2023-06-12 - Urban Design Brief - D02-02-23-0046'
  • Rendering of building from page 59 of the file '2024-08-30 - Design Brief - D02-02-23-0046'
  • Rendering of building from page 58 of the file '2025-10-03 - Design Brief - D02-02-23-0046'
  • Rendering of building from page 58 of the file '2024-08-30 - Design Brief - D02-02-23-0046'
  • Rendering of building from page 24 of the file '2023-06-12 - Urban Design Brief - D02-02-23-0046'
  • Rendering of building from page 63 of the file '2025-10-03 - Design Brief - D02-02-23-0046'
  • Rendering of building from page 64 of the file '2023-06-12 - Urban Design Brief - D02-02-23-0046'
  • Rendering of building from page 62 of the file '2024-08-30 - Design Brief - D02-02-23-0046'
  • Rendering of building from page 24 of the file '2023-06-12 - Urban Design Brief - D02-02-23-0046'
  • Rendering of building from page 64 of the file '2025-10-03 - Design Brief - D02-02-23-0046'
  • Rendering of building from page 63 of the file '2024-08-30 - Design Brief - D02-02-23-0046'
  • Rendering of building from page 64 of the file '2024-08-30 - Design Brief - D02-02-23-0046'
  • Rendering of building from page 64 of the file '2023-06-12 - Urban Design Brief - D02-02-23-0046'
  • Rendering of building from page 21 of the file '2025-10-03 - Design Brief - D02-02-23-0046'
  • Rendering of building from page 66 of the file '2025-10-03 - Design Brief - D02-02-23-0046'
  • Rendering of building from page 53 of the file '2023-06-12 - Urban Design Brief - D02-02-23-0046'
  • Rendering of building from page 65 of the file '2025-10-03 - Design Brief - D02-02-23-0046'
  • Rendering of building from page 65 of the file '2024-08-30 - Design Brief - D02-02-23-0046'
  • Rendering of building from page 24 of the file '2023-06-12 - Urban Design Brief - D02-02-23-0046'
  • Rendering of building from page 20 of the file '2024-08-30 - Design Brief - D02-02-23-0046'
  • Rendering of building from page 66 of the file '2024-08-30 - Design Brief - D02-02-23-0046'
  • Rendering of building from page 52 of the file '2023-06-12 - Urban Design Brief - D02-02-23-0046'
  • Rendering of building from page 43 of the file '2023-06-12 - Urban Design Brief - D02-02-23-0046'
  • Rendering of building from page 24 of the file '2023-06-12 - Urban Design Brief - D02-02-23-0046'
  • Rendering of building from page 28 of the file '2024-08-30 - Design Brief - D02-02-23-0046'
  • Rendering of building from page 44 of the file '2023-06-12 - Urban Design Brief - D02-02-23-0046'
  • Rendering of building from page 66 of the file '2023-06-12 - Urban Design Brief - D02-02-23-0046'
  • Rendering of building from page 47 of the file '2023-06-12 - Urban Design Brief - D02-02-23-0046'
  • Rendering of building from page 50 of the file '2023-06-12 - Urban Design Brief - D02-02-23-0046'
  • Rendering of building from page 45 of the file '2023-06-12 - Urban Design Brief - D02-02-23-0046'
  • Rendering of building from page 58 of the file '2024-08-30 - Design Brief - D02-02-23-0046'
  • Rendering of building from page 49 of the file '2023-06-12 - Urban Design Brief - D02-02-23-0046'
  • Rendering of building from page 55 of the file '2023-06-12 - Urban Design Brief - D02-02-23-0046'
  • Rendering of building from page 31 of the file '2024-08-30 - Design Brief - D02-02-23-0046'
  • Rendering of building from page 57 of the file '2024-08-30 - Design Brief - D02-02-23-0046'
  • Rendering of building from page 58 of the file '2023-06-12 - Urban Design Brief - D02-02-23-0046'
  • Rendering of building from page 20 of the file '2023-06-12 - Urban Design Brief - D02-02-23-0046'
  • Rendering of building from page 57 of the file '2025-10-03 - Design Brief - D02-02-23-0046'
  • Rendering of building from page 21 of the file '2024-08-30 - Design Brief - D02-02-23-0046'
  • Rendering of building from page 59 of the file '2023-06-12 - Urban Design Brief - D02-02-23-0046'
  • Rendering of building from page 60 of the file '2025-10-03 - Design Brief - D02-02-23-0046'
  • Rendering of building from page 22 of the file '2025-10-03 - Design Brief - D02-02-23-0046'
  • Rendering of building from page 16 of the file '2023-06-12 - Urban Design Brief - D02-02-23-0046'
  • Rendering of building from page 4 of the file '2023-06-12 - Urban Design Brief - D02-02-23-0046'
  • Rendering of building from page 60 of the file '2023-06-12 - Urban Design Brief - D02-02-23-0046'
  • Rendering of building from page 61 of the file '2023-06-12 - Urban Design Brief - D02-02-23-0046'
  • Rendering of building from page 25 of the file '2023-06-12 - Urban Design Brief - D02-02-23-0046'
  • Rendering of building from page 61 of the file '2024-08-30 - Design Brief - D02-02-23-0046'
  • Rendering of building from page 57 of the file '2023-06-12 - Urban Design Brief - D02-02-23-0046'
  • Rendering of building from page 60 of the file '2024-08-30 - Design Brief - D02-02-23-0046'
  • Rendering of building from page 61 of the file '2025-10-03 - Design Brief - D02-02-23-0046'
  • Rendering of building from page 56 of the file '2023-06-12 - Urban Design Brief - D02-02-23-0046'
  • Rendering of building from page 8 of the file '2023-06-12 - Urban Design Brief - D02-02-23-0046'
  • Rendering of building from page 32 of the file '2024-08-30 - Design Brief - D02-02-23-0046'
  • Rendering of building from page 59 of the file '2025-10-03 - Design Brief - D02-02-23-0046'
  • Rendering of building from page 24 of the file '2023-06-12 - Urban Design Brief - D02-02-23-0046'
  • Rendering of building from page 56 of the file '2023-06-12 - Urban Design Brief - D02-02-23-0046'
  • Rendering of building from page 63 of the file '2023-06-12 - Urban Design Brief - D02-02-23-0046'
  • Rendering of building from page 28 of the file '2024-08-30 - Design Brief - D02-02-23-0046'
  • Rendering of building from page 19 of the file '2023-06-12 - Urban Design Brief - D02-02-23-0046'
  • Rendering of building from page 28 of the file '2024-08-30 - Design Brief - D02-02-23-0046'
  • Rendering of building from page 28 of the file '2024-08-30 - Design Brief - D02-02-23-0046'
  • Rendering of building from page 62 of the file '2023-06-12 - Urban Design Brief - D02-02-23-0046'
  • Rendering of building from page 59 of the file '2024-08-30 - Design Brief - D02-02-23-0046'
  • Rendering of building from page 58 of the file '2025-10-03 - Design Brief - D02-02-23-0046'
  • Rendering of building from page 58 of the file '2024-08-30 - Design Brief - D02-02-23-0046'
  • Rendering of building from page 24 of the file '2023-06-12 - Urban Design Brief - D02-02-23-0046'
  • Rendering of building from page 63 of the file '2025-10-03 - Design Brief - D02-02-23-0046'
  • Rendering of building from page 64 of the file '2023-06-12 - Urban Design Brief - D02-02-23-0046'
  • Rendering of building from page 62 of the file '2024-08-30 - Design Brief - D02-02-23-0046'
  • Rendering of building from page 24 of the file '2023-06-12 - Urban Design Brief - D02-02-23-0046'
  • Rendering of building from page 64 of the file '2025-10-03 - Design Brief - D02-02-23-0046'
  • Rendering of building from page 63 of the file '2024-08-30 - Design Brief - D02-02-23-0046'
  • Rendering of building from page 64 of the file '2024-08-30 - Design Brief - D02-02-23-0046'
  • Rendering of building from page 64 of the file '2023-06-12 - Urban Design Brief - D02-02-23-0046'
  • Rendering of building from page 21 of the file '2025-10-03 - Design Brief - D02-02-23-0046'
  • Rendering of building from page 66 of the file '2025-10-03 - Design Brief - D02-02-23-0046'
  • Rendering of building from page 53 of the file '2023-06-12 - Urban Design Brief - D02-02-23-0046'
  • Rendering of building from page 65 of the file '2025-10-03 - Design Brief - D02-02-23-0046'
  • Rendering of building from page 65 of the file '2024-08-30 - Design Brief - D02-02-23-0046'
  • Rendering of building from page 24 of the file '2023-06-12 - Urban Design Brief - D02-02-23-0046'
  • Rendering of building from page 20 of the file '2024-08-30 - Design Brief - D02-02-23-0046'
  • Rendering of building from page 66 of the file '2024-08-30 - Design Brief - D02-02-23-0046'
  • Rendering of building from page 52 of the file '2023-06-12 - Urban Design Brief - D02-02-23-0046'
  • Rendering of building from page 43 of the file '2023-06-12 - Urban Design Brief - D02-02-23-0046'
  • Rendering of building from page 24 of the file '2023-06-12 - Urban Design Brief - D02-02-23-0046'
  • Rendering of building from page 28 of the file '2024-08-30 - Design Brief - D02-02-23-0046'
  • Rendering of building from page 44 of the file '2023-06-12 - Urban Design Brief - D02-02-23-0046'
  • Rendering of building from page 66 of the file '2023-06-12 - Urban Design Brief - D02-02-23-0046'
  • Rendering of building from page 47 of the file '2023-06-12 - Urban Design Brief - D02-02-23-0046'
  • Rendering of building from page 50 of the file '2023-06-12 - Urban Design Brief - D02-02-23-0046'
  • Rendering of building from page 45 of the file '2023-06-12 - Urban Design Brief - D02-02-23-0046'
  • Rendering of building from page 58 of the file '2024-08-30 - Design Brief - D02-02-23-0046'
  • Rendering of building from page 49 of the file '2023-06-12 - Urban Design Brief - D02-02-23-0046'

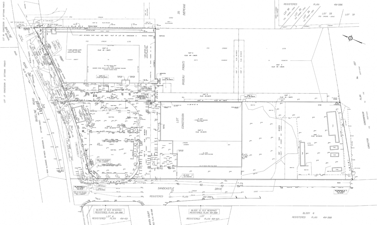
Site and Floor Plans #

  • Construction site plan for project from page 7 of the file '2023-06-12 - Urban Design Brief - D02-02-23-0046'
  • Construction site plan for project from page 8 of the file '2023-06-12 - Urban Design Brief - D02-02-23-0046'
  • Construction site plan for project from page 10 of the file '2023-06-12 - Urban Design Brief - D02-02-23-0046'
  • Construction site plan for project from page 12 of the file '2023-06-12 - Urban Design Brief - D02-02-23-0046'
  • Construction site plan for project from page 15 of the file '2023-06-12 - Urban Design Brief - D02-02-23-0046'
  • Construction site plan for project from page 17 of the file '2023-06-12 - Urban Design Brief - D02-02-23-0046'
  • Construction site plan for project from page 18 of the file '2023-06-12 - Urban Design Brief - D02-02-23-0046'
  • Construction site plan for project from page 18 of the file '2023-06-12 - Urban Design Brief - D02-02-23-0046'
  • Construction site plan for project from page 19 of the file '2023-06-12 - Urban Design Brief - D02-02-23-0046'
  • Construction site plan for project from page 21 of the file '2023-06-12 - Urban Design Brief - D02-02-23-0046'
  • Construction site plan for project from page 30 of the file '2023-06-12 - Urban Design Brief - D02-02-23-0046'
  • Floor plan for project from page 30 of the file '2023-06-12 - Urban Design Brief - D02-02-23-0046'
  • Floor plan for project from page 31 of the file '2023-06-12 - Urban Design Brief - D02-02-23-0046'
  • Floor plan for project from page 34 of the file '2023-06-12 - Urban Design Brief - D02-02-23-0046'
  • Floor plan for project from page 34 of the file '2023-06-12 - Urban Design Brief - D02-02-23-0046'
  • Floor plan for project from page 34 of the file '2023-06-12 - Urban Design Brief - D02-02-23-0046'
  • Floor plan for project from page 35 of the file '2023-06-12 - Urban Design Brief - D02-02-23-0046'
  • Floor plan for project from page 35 of the file '2023-06-12 - Urban Design Brief - D02-02-23-0046'
  • Floor plan for project from page 36 of the file '2023-06-12 - Urban Design Brief - D02-02-23-0046'
  • Floor plan for project from page 36 of the file '2023-06-12 - Urban Design Brief - D02-02-23-0046'
  • Floor plan for project from page 36 of the file '2023-06-12 - Urban Design Brief - D02-02-23-0046'
  • Floor plan for project from page 37 of the file '2023-06-12 - Urban Design Brief - D02-02-23-0046'
  • Floor plan for project from page 37 of the file '2023-06-12 - Urban Design Brief - D02-02-23-0046'
  • Floor plan for project from page 37 of the file '2023-06-12 - Urban Design Brief - D02-02-23-0046'
  • Floor plan for project from page 38 of the file '2023-06-12 - Urban Design Brief - D02-02-23-0046'
  • Floor plan for project from page 38 of the file '2023-06-12 - Urban Design Brief - D02-02-23-0046'
  • Floor plan for project from page 38 of the file '2023-06-12 - Urban Design Brief - D02-02-23-0046'
  • Floor plan for project from page 38 of the file '2023-06-12 - Urban Design Brief - D02-02-23-0046'
  • Floor plan for project from page 39 of the file '2023-06-12 - Urban Design Brief - D02-02-23-0046'
  • Floor plan for project from page 39 of the file '2023-06-12 - Urban Design Brief - D02-02-23-0046'
  • Floor plan for project from page 39 of the file '2023-06-12 - Urban Design Brief - D02-02-23-0046'
  • Floor plan for project from page 40 of the file '2023-06-12 - Urban Design Brief - D02-02-23-0046'
  • Floor plan for project from page 40 of the file '2023-06-12 - Urban Design Brief - D02-02-23-0046'
  • Floor plan for project from page 40 of the file '2023-06-12 - Urban Design Brief - D02-02-23-0046'
  • Floor plan for project from page 41 of the file '2023-06-12 - Urban Design Brief - D02-02-23-0046'
  • Construction site plan for project from page 41 of the file '2023-06-12 - Urban Design Brief - D02-02-23-0046'
  • Construction site plan for project from page 42 of the file '2023-06-12 - Urban Design Brief - D02-02-23-0046'
  • Construction site plan for project from page 42 of the file '2023-06-12 - Urban Design Brief - D02-02-23-0046'
  • Construction site plan for project from page 42 of the file '2023-06-12 - Urban Design Brief - D02-02-23-0046'
  • Construction site plan for project from page 43 of the file '2023-06-12 - Urban Design Brief - D02-02-23-0046'
  • Construction site plan for project from page 44 of the file '2023-06-12 - Urban Design Brief - D02-02-23-0046'
  • Construction site plan for project from page 45 of the file '2023-06-12 - Urban Design Brief - D02-02-23-0046'
  • Construction site plan for project from page 46 of the file '2023-06-12 - Urban Design Brief - D02-02-23-0046'
  • Construction site plan for project from page 48 of the file '2023-06-12 - Urban Design Brief - D02-02-23-0046'
  • Construction site plan for project from page 49 of the file '2023-06-12 - Urban Design Brief - D02-02-23-0046'
  • Construction site plan for project from page 50 of the file '2023-06-12 - Urban Design Brief - D02-02-23-0046'
  • Construction site plan for project from page 59 of the file '2023-06-12 - Urban Design Brief - D02-02-23-0046'
  • Construction site plan for project from page 60 of the file '2023-06-12 - Urban Design Brief - D02-02-23-0046'
  • Construction site plan for project from page 68 of the file '2023-06-12 - Urban Design Brief - D02-02-23-0046'
  • Construction site plan for project from page 68 of the file '2023-06-12 - Urban Design Brief - D02-02-23-0046'
  • Construction site plan for project from page 68 of the file '2023-06-12 - Urban Design Brief - D02-02-23-0046'
  • Construction site plan for project from page 69 of the file '2023-06-12 - Urban Design Brief - D02-02-23-0046'
  • Construction site plan for project from page 69 of the file '2023-06-12 - Urban Design Brief - D02-02-23-0046'
  • Construction site plan for project from page 70 of the file '2023-06-12 - Urban Design Brief - D02-02-23-0046'
  • Construction site plan for project from page 70 of the file '2023-06-12 - Urban Design Brief - D02-02-23-0046'
  • Construction site plan for project from page 70 of the file '2023-06-12 - Urban Design Brief - D02-02-23-0046'
  • Construction site plan for project from page 70 of the file '2023-06-12 - Urban Design Brief - D02-02-23-0046'
  • Construction site plan for project from page 71 of the file '2023-06-12 - Urban Design Brief - D02-02-23-0046'
  • Construction site plan for project from page 72 of the file '2023-06-12 - Urban Design Brief - D02-02-23-0046'
  • Construction site plan for project from page 72 of the file '2023-06-12 - Urban Design Brief - D02-02-23-0046'
  • Construction site plan for project from page 72 of the file '2023-06-12 - Urban Design Brief - D02-02-23-0046'
  • Construction site plan for project from page 74 of the file '2023-06-12 - Urban Design Brief - D02-02-23-0046'
  • Construction site plan for project from page 74 of the file '2023-06-12 - Urban Design Brief - D02-02-23-0046'
  • Construction site plan for project from page 74 of the file '2023-06-12 - Urban Design Brief - D02-02-23-0046'
  • Construction site plan for project from page 74 of the file '2023-06-12 - Urban Design Brief - D02-02-23-0046'
  • Construction site plan for project from page 75 of the file '2023-06-12 - Urban Design Brief - D02-02-23-0046'
  • Construction site plan for project from page 75 of the file '2023-06-12 - Urban Design Brief - D02-02-23-0046'
  • Construction site plan for project from page 75 of the file '2023-06-12 - Urban Design Brief - D02-02-23-0046'
  • Construction site plan for project from page 76 of the file '2023-06-12 - Urban Design Brief - D02-02-23-0046'
  • Construction site plan for project from page 12 of the file '2024-08-30 - Design Brief - D02-02-23-0046'
  • Construction site plan for project from page 14 of the file '2024-08-30 - Design Brief - D02-02-23-0046'
  • Construction site plan for project from page 22 of the file '2024-08-30 - Design Brief - D02-02-23-0046'
  • Construction site plan for project from page 23 of the file '2024-08-30 - Design Brief - D02-02-23-0046'
  • Construction site plan for project from page 35 of the file '2024-08-30 - Design Brief - D02-02-23-0046'
  • Construction site plan for project from page 36 of the file '2024-08-30 - Design Brief - D02-02-23-0046'
  • Construction site plan for project from page 50 of the file '2024-08-30 - Design Brief - D02-02-23-0046'
  • Construction site plan for project from page 51 of the file '2024-08-30 - Design Brief - D02-02-23-0046'
  • Construction site plan for project from page 58 of the file '2024-08-30 - Design Brief - D02-02-23-0046'
  • Construction site plan for project from page 61 of the file '2024-08-30 - Design Brief - D02-02-23-0046'
  • Construction site plan for project from page 64 of the file '2024-08-30 - Design Brief - D02-02-23-0046'
  • Construction site plan for project from page 65 of the file '2024-08-30 - Design Brief - D02-02-23-0046'
  • Construction site plan for project from page 75 of the file '2024-08-30 - Design Brief - D02-02-23-0046'
  • Construction site plan for project from page 75 of the file '2024-08-30 - Design Brief - D02-02-23-0046'
  • Construction site plan for project from page 75 of the file '2024-08-30 - Design Brief - D02-02-23-0046'
  • Construction site plan for project from page 75 of the file '2024-08-30 - Design Brief - D02-02-23-0046'
  • Construction site plan for project from page 76 of the file '2024-08-30 - Design Brief - D02-02-23-0046'
  • Construction site plan for project from page 76 of the file '2024-08-30 - Design Brief - D02-02-23-0046'
  • Construction site plan for project from page 76 of the file '2024-08-30 - Design Brief - D02-02-23-0046'
  • Construction site plan for project from page 77 of the file '2024-08-30 - Design Brief - D02-02-23-0046'
  • Construction site plan for project from page 77 of the file '2024-08-30 - Design Brief - D02-02-23-0046'
  • Construction site plan for project from page 77 of the file '2024-08-30 - Design Brief - D02-02-23-0046'
  • Construction site plan for project from page 79 of the file '2024-08-30 - Design Brief - D02-02-23-0046'
  • Construction site plan for project from page 79 of the file '2024-08-30 - Design Brief - D02-02-23-0046'
  • Construction site plan for project from page 79 of the file '2024-08-30 - Design Brief - D02-02-23-0046'
  • Construction site plan for project from page 79 of the file '2024-08-30 - Design Brief - D02-02-23-0046'
  • Construction site plan for project from page 79 of the file '2024-08-30 - Design Brief - D02-02-23-0046'
  • Construction site plan for project from page 80 of the file '2024-08-30 - Design Brief - D02-02-23-0046'
  • Construction site plan for project from page 80 of the file '2024-08-30 - Design Brief - D02-02-23-0046'
  • Construction site plan for project from page 80 of the file '2024-08-30 - Design Brief - D02-02-23-0046'
  • Construction site plan for project from page 80 of the file '2024-08-30 - Design Brief - D02-02-23-0046'
  • Construction site plan for project from page 81 of the file '2024-08-30 - Design Brief - D02-02-23-0046'
  • Construction site plan for project from page 82 of the file '2024-08-30 - Design Brief - D02-02-23-0046'
  • Construction site plan for project from page 84 of the file '2024-08-30 - Design Brief - D02-02-23-0046'
  • Construction site plan for project from page 84 of the file '2024-08-30 - Design Brief - D02-02-23-0046'
  • Construction site plan for project from page 85 of the file '2024-08-30 - Design Brief - D02-02-23-0046'
  • Construction site plan for project from page 85 of the file '2024-08-30 - Design Brief - D02-02-23-0046'
  • Construction site plan for project from page 86 of the file '2024-08-30 - Design Brief - D02-02-23-0046'
  • Construction site plan for project from page 87 of the file '2024-08-30 - Design Brief - D02-02-23-0046'
  • Construction site plan for project from page 88 of the file '2024-08-30 - Design Brief - D02-02-23-0046'
  • Construction site plan for project from page 6 of the file '2025-10-03 - Design Brief - D02-02-23-0046'
  • Construction site plan for project from page 12 of the file '2025-10-03 - Design Brief - D02-02-23-0046'
  • Construction site plan for project from page 14 of the file '2025-10-03 - Design Brief - D02-02-23-0046'
  • Construction site plan for project from page 15 of the file '2025-10-03 - Design Brief - D02-02-23-0046'
  • Construction site plan for project from page 17 of the file '2025-10-03 - Design Brief - D02-02-23-0046'
  • Construction site plan for project from page 24 of the file '2025-10-03 - Design Brief - D02-02-23-0046'
  • Floor plan for project from page 42 of the file '2025-10-03 - Design Brief - D02-02-23-0046'
  • Construction site plan for project from page 74 of the file '2025-10-03 - Design Brief - D02-02-23-0046'
  • Construction site plan for project from page 74 of the file '2025-10-03 - Design Brief - D02-02-23-0046'
  • Construction site plan for project from page 74 of the file '2025-10-03 - Design Brief - D02-02-23-0046'
  • Construction site plan for project from page 75 of the file '2025-10-03 - Design Brief - D02-02-23-0046'
  • Construction site plan for project from page 75 of the file '2025-10-03 - Design Brief - D02-02-23-0046'
  • Construction site plan for project from page 76 of the file '2025-10-03 - Design Brief - D02-02-23-0046'
  • Construction site plan for project from page 76 of the file '2025-10-03 - Design Brief - D02-02-23-0046'
  • Construction site plan for project from page 76 of the file '2025-10-03 - Design Brief - D02-02-23-0046'
  • Construction site plan for project from page 77 of the file '2025-10-03 - Design Brief - D02-02-23-0046'
  • Construction site plan for project from page 77 of the file '2025-10-03 - Design Brief - D02-02-23-0046'
  • Construction site plan for project from page 78 of the file '2025-10-03 - Design Brief - D02-02-23-0046'
  • Construction site plan for project from page 78 of the file '2025-10-03 - Design Brief - D02-02-23-0046'
  • Construction site plan for project from page 79 of the file '2025-10-03 - Design Brief - D02-02-23-0046'
  • Construction site plan for project from page 79 of the file '2025-10-03 - Design Brief - D02-02-23-0046'
  • Construction site plan for project from page 80 of the file '2025-10-03 - Design Brief - D02-02-23-0046'
  • Construction site plan for project from page 81 of the file '2025-10-03 - Design Brief - D02-02-23-0046'
  • Construction site plan for project from page 85 of the file '2025-10-03 - Design Brief - D02-02-23-0046'
  • Construction site plan for project from page 86 of the file '2025-10-03 - Design Brief - D02-02-23-0046'
  • Construction site plan for project from page 86 of the file '2025-10-03 - Design Brief - D02-02-23-0046'
  • Construction site plan for project from page 7 of the file '2023-06-12 - Urban Design Brief - D02-02-23-0046'
  • Construction site plan for project from page 8 of the file '2023-06-12 - Urban Design Brief - D02-02-23-0046'
  • Construction site plan for project from page 10 of the file '2023-06-12 - Urban Design Brief - D02-02-23-0046'
  • Construction site plan for project from page 12 of the file '2023-06-12 - Urban Design Brief - D02-02-23-0046'
  • Construction site plan for project from page 15 of the file '2023-06-12 - Urban Design Brief - D02-02-23-0046'
  • Construction site plan for project from page 17 of the file '2023-06-12 - Urban Design Brief - D02-02-23-0046'
  • Construction site plan for project from page 18 of the file '2023-06-12 - Urban Design Brief - D02-02-23-0046'
  • Construction site plan for project from page 18 of the file '2023-06-12 - Urban Design Brief - D02-02-23-0046'
  • Construction site plan for project from page 19 of the file '2023-06-12 - Urban Design Brief - D02-02-23-0046'
  • Construction site plan for project from page 21 of the file '2023-06-12 - Urban Design Brief - D02-02-23-0046'
  • Construction site plan for project from page 30 of the file '2023-06-12 - Urban Design Brief - D02-02-23-0046'
  • Floor plan for project from page 30 of the file '2023-06-12 - Urban Design Brief - D02-02-23-0046'
  • Floor plan for project from page 31 of the file '2023-06-12 - Urban Design Brief - D02-02-23-0046'
  • Floor plan for project from page 34 of the file '2023-06-12 - Urban Design Brief - D02-02-23-0046'
  • Floor plan for project from page 34 of the file '2023-06-12 - Urban Design Brief - D02-02-23-0046'
  • Floor plan for project from page 34 of the file '2023-06-12 - Urban Design Brief - D02-02-23-0046'
  • Floor plan for project from page 35 of the file '2023-06-12 - Urban Design Brief - D02-02-23-0046'
  • Floor plan for project from page 35 of the file '2023-06-12 - Urban Design Brief - D02-02-23-0046'
  • Floor plan for project from page 36 of the file '2023-06-12 - Urban Design Brief - D02-02-23-0046'
  • Floor plan for project from page 36 of the file '2023-06-12 - Urban Design Brief - D02-02-23-0046'
  • Floor plan for project from page 36 of the file '2023-06-12 - Urban Design Brief - D02-02-23-0046'
  • Floor plan for project from page 37 of the file '2023-06-12 - Urban Design Brief - D02-02-23-0046'
  • Floor plan for project from page 37 of the file '2023-06-12 - Urban Design Brief - D02-02-23-0046'
  • Floor plan for project from page 37 of the file '2023-06-12 - Urban Design Brief - D02-02-23-0046'
  • Floor plan for project from page 38 of the file '2023-06-12 - Urban Design Brief - D02-02-23-0046'
  • Floor plan for project from page 38 of the file '2023-06-12 - Urban Design Brief - D02-02-23-0046'
  • Floor plan for project from page 38 of the file '2023-06-12 - Urban Design Brief - D02-02-23-0046'
  • Floor plan for project from page 38 of the file '2023-06-12 - Urban Design Brief - D02-02-23-0046'
  • Floor plan for project from page 39 of the file '2023-06-12 - Urban Design Brief - D02-02-23-0046'
  • Floor plan for project from page 39 of the file '2023-06-12 - Urban Design Brief - D02-02-23-0046'
  • Floor plan for project from page 39 of the file '2023-06-12 - Urban Design Brief - D02-02-23-0046'
  • Floor plan for project from page 40 of the file '2023-06-12 - Urban Design Brief - D02-02-23-0046'
  • Floor plan for project from page 40 of the file '2023-06-12 - Urban Design Brief - D02-02-23-0046'
  • Floor plan for project from page 40 of the file '2023-06-12 - Urban Design Brief - D02-02-23-0046'
  • Floor plan for project from page 41 of the file '2023-06-12 - Urban Design Brief - D02-02-23-0046'
  • Construction site plan for project from page 41 of the file '2023-06-12 - Urban Design Brief - D02-02-23-0046'
  • Construction site plan for project from page 42 of the file '2023-06-12 - Urban Design Brief - D02-02-23-0046'
  • Construction site plan for project from page 42 of the file '2023-06-12 - Urban Design Brief - D02-02-23-0046'
  • Construction site plan for project from page 42 of the file '2023-06-12 - Urban Design Brief - D02-02-23-0046'
  • Construction site plan for project from page 43 of the file '2023-06-12 - Urban Design Brief - D02-02-23-0046'
  • Construction site plan for project from page 44 of the file '2023-06-12 - Urban Design Brief - D02-02-23-0046'
  • Construction site plan for project from page 45 of the file '2023-06-12 - Urban Design Brief - D02-02-23-0046'
  • Construction site plan for project from page 46 of the file '2023-06-12 - Urban Design Brief - D02-02-23-0046'
  • Construction site plan for project from page 48 of the file '2023-06-12 - Urban Design Brief - D02-02-23-0046'
  • Construction site plan for project from page 49 of the file '2023-06-12 - Urban Design Brief - D02-02-23-0046'
  • Construction site plan for project from page 50 of the file '2023-06-12 - Urban Design Brief - D02-02-23-0046'
  • Construction site plan for project from page 59 of the file '2023-06-12 - Urban Design Brief - D02-02-23-0046'
  • Construction site plan for project from page 60 of the file '2023-06-12 - Urban Design Brief - D02-02-23-0046'
  • Construction site plan for project from page 68 of the file '2023-06-12 - Urban Design Brief - D02-02-23-0046'
  • Construction site plan for project from page 68 of the file '2023-06-12 - Urban Design Brief - D02-02-23-0046'
  • Construction site plan for project from page 68 of the file '2023-06-12 - Urban Design Brief - D02-02-23-0046'
  • Construction site plan for project from page 69 of the file '2023-06-12 - Urban Design Brief - D02-02-23-0046'
  • Construction site plan for project from page 69 of the file '2023-06-12 - Urban Design Brief - D02-02-23-0046'
  • Construction site plan for project from page 70 of the file '2023-06-12 - Urban Design Brief - D02-02-23-0046'
  • Construction site plan for project from page 70 of the file '2023-06-12 - Urban Design Brief - D02-02-23-0046'
  • Construction site plan for project from page 70 of the file '2023-06-12 - Urban Design Brief - D02-02-23-0046'
  • Construction site plan for project from page 70 of the file '2023-06-12 - Urban Design Brief - D02-02-23-0046'
  • Construction site plan for project from page 71 of the file '2023-06-12 - Urban Design Brief - D02-02-23-0046'
  • Construction site plan for project from page 72 of the file '2023-06-12 - Urban Design Brief - D02-02-23-0046'
  • Construction site plan for project from page 72 of the file '2023-06-12 - Urban Design Brief - D02-02-23-0046'
  • Construction site plan for project from page 72 of the file '2023-06-12 - Urban Design Brief - D02-02-23-0046'
  • Construction site plan for project from page 74 of the file '2023-06-12 - Urban Design Brief - D02-02-23-0046'
  • Construction site plan for project from page 74 of the file '2023-06-12 - Urban Design Brief - D02-02-23-0046'
  • Construction site plan for project from page 74 of the file '2023-06-12 - Urban Design Brief - D02-02-23-0046'
  • Construction site plan for project from page 74 of the file '2023-06-12 - Urban Design Brief - D02-02-23-0046'
  • Construction site plan for project from page 75 of the file '2023-06-12 - Urban Design Brief - D02-02-23-0046'
  • Construction site plan for project from page 75 of the file '2023-06-12 - Urban Design Brief - D02-02-23-0046'
  • Construction site plan for project from page 75 of the file '2023-06-12 - Urban Design Brief - D02-02-23-0046'
  • Construction site plan for project from page 76 of the file '2023-06-12 - Urban Design Brief - D02-02-23-0046'
  • Construction site plan for project from page 12 of the file '2024-08-30 - Design Brief - D02-02-23-0046'
  • Construction site plan for project from page 14 of the file '2024-08-30 - Design Brief - D02-02-23-0046'
  • Construction site plan for project from page 22 of the file '2024-08-30 - Design Brief - D02-02-23-0046'
  • Construction site plan for project from page 23 of the file '2024-08-30 - Design Brief - D02-02-23-0046'
  • Construction site plan for project from page 35 of the file '2024-08-30 - Design Brief - D02-02-23-0046'
  • Construction site plan for project from page 36 of the file '2024-08-30 - Design Brief - D02-02-23-0046'
  • Construction site plan for project from page 50 of the file '2024-08-30 - Design Brief - D02-02-23-0046'
  • Construction site plan for project from page 51 of the file '2024-08-30 - Design Brief - D02-02-23-0046'
  • Construction site plan for project from page 58 of the file '2024-08-30 - Design Brief - D02-02-23-0046'
  • Construction site plan for project from page 61 of the file '2024-08-30 - Design Brief - D02-02-23-0046'
  • Construction site plan for project from page 64 of the file '2024-08-30 - Design Brief - D02-02-23-0046'
  • Construction site plan for project from page 65 of the file '2024-08-30 - Design Brief - D02-02-23-0046'
  • Construction site plan for project from page 75 of the file '2024-08-30 - Design Brief - D02-02-23-0046'
  • Construction site plan for project from page 75 of the file '2024-08-30 - Design Brief - D02-02-23-0046'
  • Construction site plan for project from page 75 of the file '2024-08-30 - Design Brief - D02-02-23-0046'
  • Construction site plan for project from page 75 of the file '2024-08-30 - Design Brief - D02-02-23-0046'
  • Construction site plan for project from page 76 of the file '2024-08-30 - Design Brief - D02-02-23-0046'
  • Construction site plan for project from page 76 of the file '2024-08-30 - Design Brief - D02-02-23-0046'
  • Construction site plan for project from page 76 of the file '2024-08-30 - Design Brief - D02-02-23-0046'
  • Construction site plan for project from page 77 of the file '2024-08-30 - Design Brief - D02-02-23-0046'
  • Construction site plan for project from page 77 of the file '2024-08-30 - Design Brief - D02-02-23-0046'
  • Construction site plan for project from page 77 of the file '2024-08-30 - Design Brief - D02-02-23-0046'
  • Construction site plan for project from page 79 of the file '2024-08-30 - Design Brief - D02-02-23-0046'
  • Construction site plan for project from page 79 of the file '2024-08-30 - Design Brief - D02-02-23-0046'
  • Construction site plan for project from page 79 of the file '2024-08-30 - Design Brief - D02-02-23-0046'
  • Construction site plan for project from page 79 of the file '2024-08-30 - Design Brief - D02-02-23-0046'
  • Construction site plan for project from page 79 of the file '2024-08-30 - Design Brief - D02-02-23-0046'
  • Construction site plan for project from page 80 of the file '2024-08-30 - Design Brief - D02-02-23-0046'
  • Construction site plan for project from page 80 of the file '2024-08-30 - Design Brief - D02-02-23-0046'
  • Construction site plan for project from page 80 of the file '2024-08-30 - Design Brief - D02-02-23-0046'
  • Construction site plan for project from page 80 of the file '2024-08-30 - Design Brief - D02-02-23-0046'
  • Construction site plan for project from page 81 of the file '2024-08-30 - Design Brief - D02-02-23-0046'
  • Construction site plan for project from page 82 of the file '2024-08-30 - Design Brief - D02-02-23-0046'
  • Construction site plan for project from page 84 of the file '2024-08-30 - Design Brief - D02-02-23-0046'
  • Construction site plan for project from page 84 of the file '2024-08-30 - Design Brief - D02-02-23-0046'
  • Construction site plan for project from page 85 of the file '2024-08-30 - Design Brief - D02-02-23-0046'
  • Construction site plan for project from page 85 of the file '2024-08-30 - Design Brief - D02-02-23-0046'
  • Construction site plan for project from page 86 of the file '2024-08-30 - Design Brief - D02-02-23-0046'
  • Construction site plan for project from page 87 of the file '2024-08-30 - Design Brief - D02-02-23-0046'
  • Construction site plan for project from page 88 of the file '2024-08-30 - Design Brief - D02-02-23-0046'
  • Construction site plan for project from page 6 of the file '2025-10-03 - Design Brief - D02-02-23-0046'
  • Construction site plan for project from page 12 of the file '2025-10-03 - Design Brief - D02-02-23-0046'
  • Construction site plan for project from page 14 of the file '2025-10-03 - Design Brief - D02-02-23-0046'
  • Construction site plan for project from page 15 of the file '2025-10-03 - Design Brief - D02-02-23-0046'
  • Construction site plan for project from page 17 of the file '2025-10-03 - Design Brief - D02-02-23-0046'
  • Construction site plan for project from page 24 of the file '2025-10-03 - Design Brief - D02-02-23-0046'
  • Floor plan for project from page 42 of the file '2025-10-03 - Design Brief - D02-02-23-0046'
  • Construction site plan for project from page 74 of the file '2025-10-03 - Design Brief - D02-02-23-0046'
  • Construction site plan for project from page 74 of the file '2025-10-03 - Design Brief - D02-02-23-0046'
  • Construction site plan for project from page 74 of the file '2025-10-03 - Design Brief - D02-02-23-0046'
  • Construction site plan for project from page 75 of the file '2025-10-03 - Design Brief - D02-02-23-0046'
  • Construction site plan for project from page 75 of the file '2025-10-03 - Design Brief - D02-02-23-0046'
  • Construction site plan for project from page 76 of the file '2025-10-03 - Design Brief - D02-02-23-0046'
  • Construction site plan for project from page 76 of the file '2025-10-03 - Design Brief - D02-02-23-0046'
  • Construction site plan for project from page 76 of the file '2025-10-03 - Design Brief - D02-02-23-0046'
  • Construction site plan for project from page 77 of the file '2025-10-03 - Design Brief - D02-02-23-0046'
  • Construction site plan for project from page 77 of the file '2025-10-03 - Design Brief - D02-02-23-0046'
  • Construction site plan for project from page 78 of the file '2025-10-03 - Design Brief - D02-02-23-0046'
  • Construction site plan for project from page 78 of the file '2025-10-03 - Design Brief - D02-02-23-0046'
  • Construction site plan for project from page 79 of the file '2025-10-03 - Design Brief - D02-02-23-0046'
  • Construction site plan for project from page 79 of the file '2025-10-03 - Design Brief - D02-02-23-0046'
  • Construction site plan for project from page 80 of the file '2025-10-03 - Design Brief - D02-02-23-0046'
  • Construction site plan for project from page 81 of the file '2025-10-03 - Design Brief - D02-02-23-0046'
  • Construction site plan for project from page 85 of the file '2025-10-03 - Design Brief - D02-02-23-0046'
  • Construction site plan for project from page 86 of the file '2025-10-03 - Design Brief - D02-02-23-0046'
  • Construction site plan for project from page 86 of the file '2025-10-03 - Design Brief - D02-02-23-0046'

Documents #

TypeDocument
Application Summary2023-06-30 - Application Summary - D02-02-23-0046
Application Summary2024-11-08 - Application Summary update - D02-02-23-0046
Architectural Plans2023-06-12 - Site Plan - D02-02-23-0046
Architectural Plans2023-06-12 - Architectural Drawings Set - D02-02-23-0046
Architectural Plans2024-08-30 - Site Plan - D02-02-23-0046
Architectural Plans2024-11-04 - Site serving plan - D02-02-23-0046
Architectural Plans2024-11-04 - Site Plan - D02-02-23-0046
Architectural Plans2025-10-03 - Technical Set Plan - D02-02-23-0046
Architectural Plans2025-10-03 - Sanitary Drainage Plan - D02-02-23-0046
Architectural Plans2025-10-03 - Notes & Legends Plan - D02-02-23-0046
Civil Engineering Report2023-06-12 - Civil Drawings - D02-02-23-0046
Civil Engineering Report2024-08-30 - Civil Plans - D02-02-23-0046
Civil Engineering Report2024-11-04 - Civil Plans - D02-02-23-0046
Design Brief2023-06-12 - Urban Design Brief - D02-02-23-0046
Design Brief2024-08-30 - Design Brief - D02-02-23-0046
Design Brief2024-11-04 - Design Brief - D02-02-23-0046
Design Brief2025-10-03 - Design Brief - D02-02-23-0046
Environmental2023-06-12 - Phase One Environmental Site Assessment - D02-02-23-0046
Environmental2025-10-03 - Phase Two ESA by Inspec - D02-02-23-0046
Environmental2025-10-03 - Phase One ESA by Paterson - D02-02-23-0046
Environmental2025-10-03 - Phase One ESA by Lopers - D02-02-23-0046
Environmental2025-10-03 - Phase One ESA by Inspec - D02-02-23-0046
Environmental2025-10-03 - Phase One ESA by EXP - D02-02-23-0046
Environmental2025-10-03 - Environmental Soil Investigation - D02-02-23-0046
Erosion And Sediment Control Plan2024-11-04 - erosion and control plan - D02-02-23-0046
Erosion And Sediment Control Plan2025-10-03 - Erosion Control Plan & Details Sheet - D02-02-23-0046
Existing Conditions2024-11-04 - existing condition and removal - D02-02-23-0046
Existing Conditions2025-10-03 - Existing Conditions & Removals Plan - D02-02-23-0046
Geotechnical Report2023-06-12 - Geotechnical Investigation - D02-02-23-0046
Geotechnical Report2024-11-04 - Grading Plan - D02-02-23-0046
Geotechnical Report2025-10-03 - Soil Characterization Report - D02-02-23-0046
Geotechnical Report2025-10-03 - Grading Plan - D02-02-23-0046
Landscape Plan2023-06-12 - Landscape Plans - D02-02-23-0046
Landscape Plan2024-08-30 - Landscape Plan L100 - D02-02-23-0046
Landscape Plan2024-08-30 - Landscape Details L200 - D02-02-23-0046
Landscape Plan2024-11-04 - Landscape Plan L100 - D02-02-23-0046
Landscape Plan2024-11-04 - Landscape Details L200 - D02-02-23-0046
Landscape Plan2025-10-03 - Landscape Plan & Park Facility Fit Plan - D02-02-23-0046
Landscape Plan2025-10-03 - Landscape Details & Notes - D02-02-23-0046
Noise Study2023-06-12 - Roadway Traffic Noise Assessment - D02-02-23-0046
Noise Study2024-08-30 - Traffic Noise Assessment - D02-02-23-0046
Noise Study2024-11-04 - Traffic Noise Assessment - D02-02-23-0046
Planning2023-06-12 - Planning Rationale - D02-02-23-0046
Planning2024-08-30 - Planning Rationale Addendum - D02-02-23-0046
Planning2024-11-04 - Planning Rationale Addendum - D02-02-23-0046
Planning2025-10-03 - Planning Rationale Addendum - D02-02-23-0046
Site Servicing2023-06-12 - Servicing and Stormwater Management Report - D02-02-23-0046
Site Servicing2025-10-03 - Site Servicing Plan - D02-02-23-0046
Site Servicing2025-10-03 - Site Servicing & Stormwater Management Report - D02-02-23-0046
Stormwater Management2024-08-30 - SWM Report - D02-02-23-0046
Stormwater Management2024-11-04 - Storm water management report - D02-02-23-0046
Stormwater Management2024-11-04 - Storm Drainage - D02-02-23-0046
Stormwater Management2024-11-04 - SWM Report - D02-02-23-0046
Stormwater Management2025-10-03 - Storm Drainage Plan - D02-02-23-0046
Transportation Analysis2023-06-12 - TIA Strategy Report - D02-02-23-0046
Transportation Analysis2023-06-12 - TDM Measures Checklist - D02-02-23-0046
Transportation Analysis2024-08-30 - TIA Final Report - D02-02-23-0046
Transportation Analysis2024-11-04 - TIA Final Report - D02-02-23-0046
Transportation Analysis2025-10-03 - TIA Final Report - D02-02-23-0046
Tree Information and Conservation2023-06-12 - Tree Conservation Report - D02-02-23-0046
Tree Information and Conservation2024-08-30 - Tree Conservation Report - D02-02-23-0046
Tree Information and Conservation2024-11-04 - Tree Conservation Report - D02-02-23-0046
Tree Information and Conservation2025-10-20 - Tree Conservation Report - D02-02-23-0046
Wind Study2023-06-12 - Pedestrian Level Wind Study - D02-02-23-0046
Wind Study2024-08-30 - Wind Study - D02-02-23-0046
Wind Study2024-11-04 - Wind Study - D02-02-23-0046
2024-11-04 - Sanitary Drainage - D02-02-23-0046
2024-11-04 - Note and Legend - D02-02-23-0046

Additional Information #

All Addresses2946 Baseline Rd.
2940 Baseline Rd.
IDAddressLast UpdatedDate Initiated
D07-12-23-00732940-2946 Baseline Rd.2025-11-142023-06-07