112 Nelson St. (D02-02-17-0114)#
Summary#
| Application Status | Post Approval |
| Review Status | Application Approved by Council |
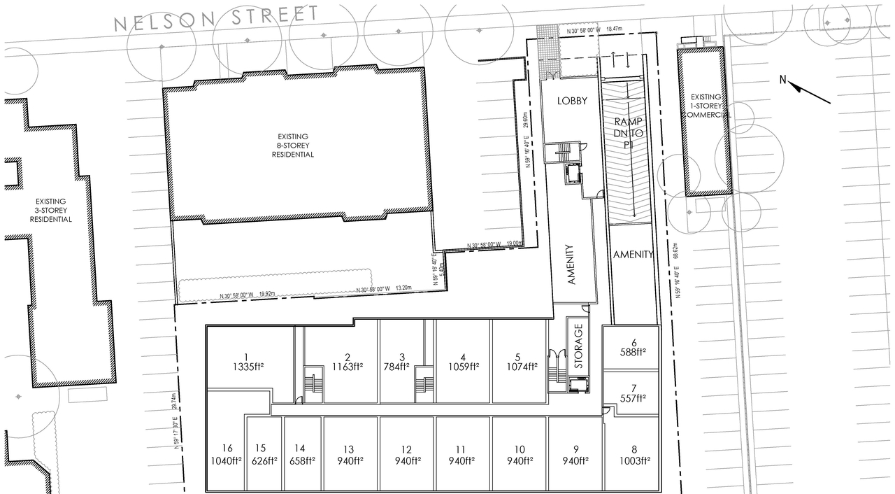
| Description | The City of Ottawa has received a Zoning By-law Amendment application to rezone the site to a residential zone in order to permit a 9-storey building with approximately 176 dwelling units, and 66 parking spaces in an underground garage. The application also seeks to permit Office as an additional use. |
| Ward | Ward 12 - Stéphanie Plante |
| Date Initiated | 2017-11-30 |
| Last Updated | 2018-07-11 |
Renders#
Location#
Select a marker to view the address.








